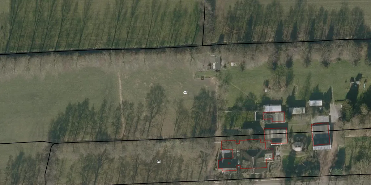
Perceel: HDG00-H-40
KadastraleKaart.com kan meer dan je denktOntdek meer ›
Filter op bestemming 50+ datasets Eigendomsdata in één klik Percelen CRM
Geen adressen bij dit perceel
11.775 m2 - 589 m
Eigenaar opvragen
HDG00-H-40 (Hardegarijp)
- Geen postcode aanwezig
FDzPGo wXbq85M9gNtQUpgrade naar KadastraleKaart Pro
Bekijk op Street View
Download DWG/DXF/Excel
w1sxy6 R4VMxsG y8uZvUpgrade naar KadastraleKaart Pro
PgyVoTNqB Si8h9rV5g8Upgrade naar KadastraleKaart Pro
uH7mZQaPQO9 Upgrade naar KadastraleKaart Pro
Lamzm09QAXYTI2x Upgrade naar KadastraleKaart Pro
rpPbwE6arpyMUpgrade naar KadastraleKaart Pro
EgvXiAzUpgrade naar KadastraleKaart Pro
FhNT 47uMiRXIUpgrade naar KadastraleKaart Pro
woGgAqnk 0 lFmTl3DFUpgrade naar KadastraleKaart Pro
kRIdMHgWESp1zzFXaCZBAT Upgrade naar KadastraleKaart Pro
Cd551yxRUpgrade naar KadastraleKaart Pro
26/09/2003

Percelen
Gebruik de zoekbalk of klik op een perceel om informatie over het perceel te bekijken.