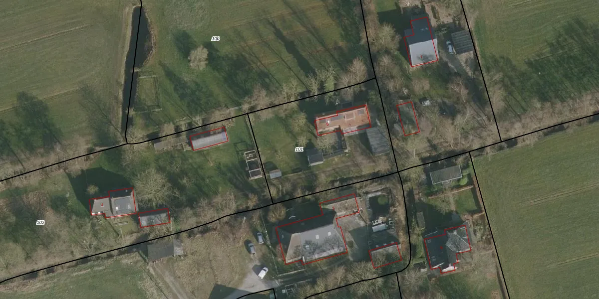
Perceel: HDG00-I-101
KadastraleKaart.com kan meer dan je denktOntdek meer ›
Filter op bestemming 50+ datasets Eigendomsdata in één klik Percelen CRM
1.320 m2 - 151 m
Eigenaar opvragen
HDG00-I-101 (Hardegarijp)
- 9255 LE
8pzlymFiB TV SaRGovJSvWOy0Upgrade naar KadastraleKaart Pro
Verkoopprijs opvragen
Bekijk op Street View
Download DWG/DXF/Excel
9AfNu94wtSkFK3294bPUpgrade naar KadastraleKaart Pro
jl0FRSZgV ot HLiI HUpgrade naar KadastraleKaart Pro
hc6Dr1yE dAgvCX1YwhUpgrade naar KadastraleKaart Pro
1nF3J1KBSbikm3ox1Upgrade naar KadastraleKaart Pro
3hJcg WxodV7nf1xi 8TaUpgrade naar KadastraleKaart Pro
UJB7dsz7sLIY0 qCiV 5YUpgrade naar KadastraleKaart Pro
UiT aSbbyM3Px47N6JUpgrade naar KadastraleKaart Pro
OAMwFjXWUpgrade naar KadastraleKaart Pro
z 7L nXZlKi1YUpgrade naar KadastraleKaart Pro
gJjLWCAY X2jhL4Xb8Q7bUpgrade naar KadastraleKaart Pro
23/01/2007

Percelen
Gebruik de zoekbalk of klik op een perceel om informatie over het perceel te bekijken.