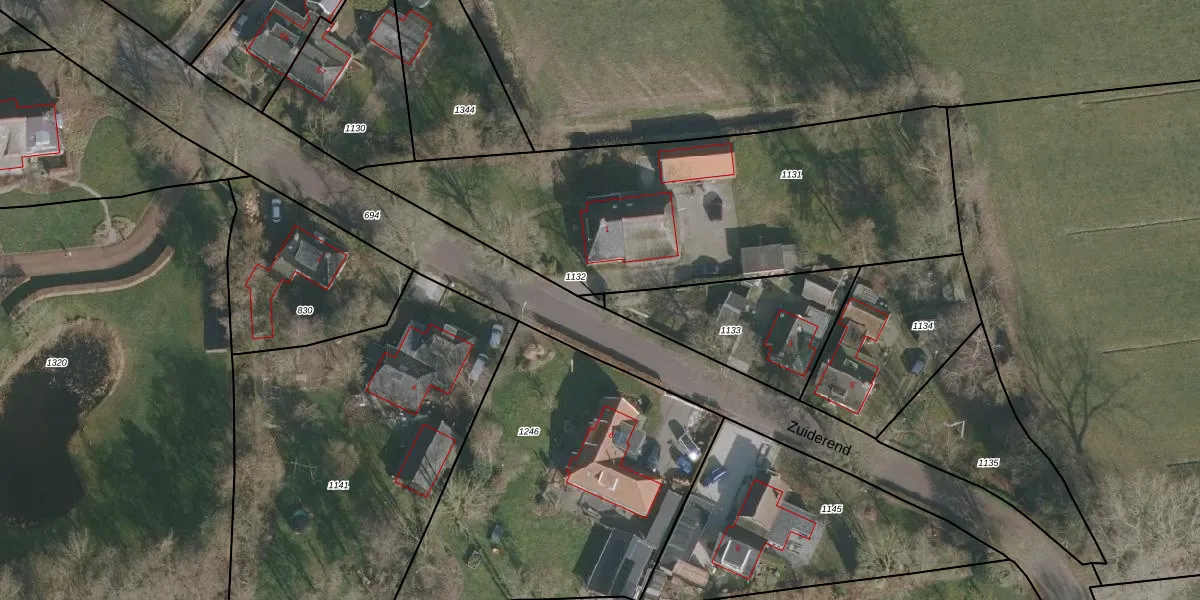
Perceel: HDG00-I-1132
Geen adressen bij dit perceel
7 m2 - 12 m
Eigenaar opvragen
HDG00-I-1132 (Hardegarijp)
- Geen postcode aanwezig
1rrg2 jQtoE pglU7gFcCNBFovzDshpUpgrade naar KadastraleKaart Pro
Bekijk op Street View
Download DWG/DXF/Excel
6D2ip tq4ywUpgrade naar KadastraleKaart Pro
fttyalr1xbxcQf4uPUpgrade naar KadastraleKaart Pro
iGNPXc 3z 3RV4r19 eOUpgrade naar KadastraleKaart Pro
s8WD9 2KTUpgrade naar KadastraleKaart Pro
1YnICnUXk7Upgrade naar KadastraleKaart Pro
A kT6qL Upgrade naar KadastraleKaart Pro
pauGNLalnGjpUpgrade naar KadastraleKaart Pro
5sEE9tqMvlrHrl3hBNQ9Upgrade naar KadastraleKaart Pro
adVElVsur6JkiI37gbUpgrade naar KadastraleKaart Pro
Ke C3gnESmydXOUpgrade naar KadastraleKaart Pro
08/01/2003

Percelen
Gebruik de zoekbalk of klik op een perceel om informatie over het perceel te bekijken.