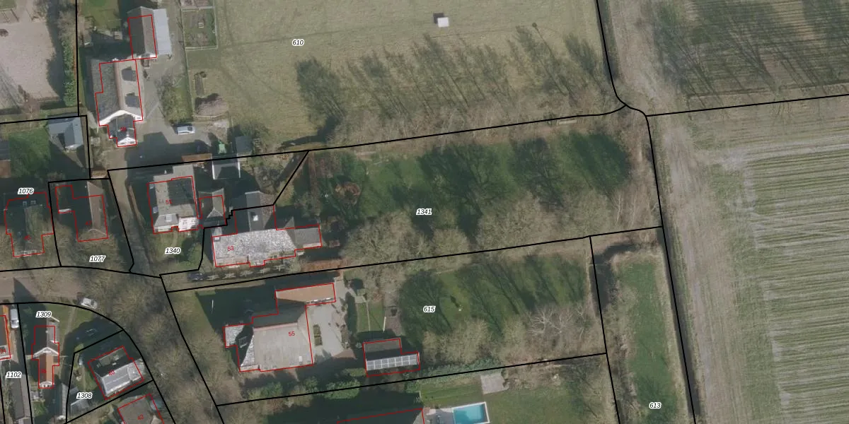
Perceel: HDG00-I-1341
2.810 m2 - 285 m
Eigenaar opvragen
HDG00-I-1341 (Hardegarijp)
- 9265 LR
pQV Rv pTJ zs3MRbCT V5Upgrade naar KadastraleKaart Pro
Bekijk op Street View
Download DWG/DXF/Excel
LrzFQs4QGUpgrade naar KadastraleKaart Pro
r3BpQnaG0LYk3ZpgUpgrade naar KadastraleKaart Pro
bE4xzfcBx ESQ0FkUpgrade naar KadastraleKaart Pro
OEj53Vg D fM4cFP Upgrade naar KadastraleKaart Pro
P sZiTuhhRg6SQ2UGUpgrade naar KadastraleKaart Pro
9w8RVIYzNUpgrade naar KadastraleKaart Pro
22QWaJ t7MkUjTTnNEZ99SQUpgrade naar KadastraleKaart Pro
wA DVB6Bmd sM Upgrade naar KadastraleKaart Pro
ZSeyf6 fGXeOaMVV SBm UVUpgrade naar KadastraleKaart Pro
mwr25fYbEyslODUpgrade naar KadastraleKaart Pro
08/01/2003

Percelen
Gebruik de zoekbalk of klik op een perceel om informatie over het perceel te bekijken.