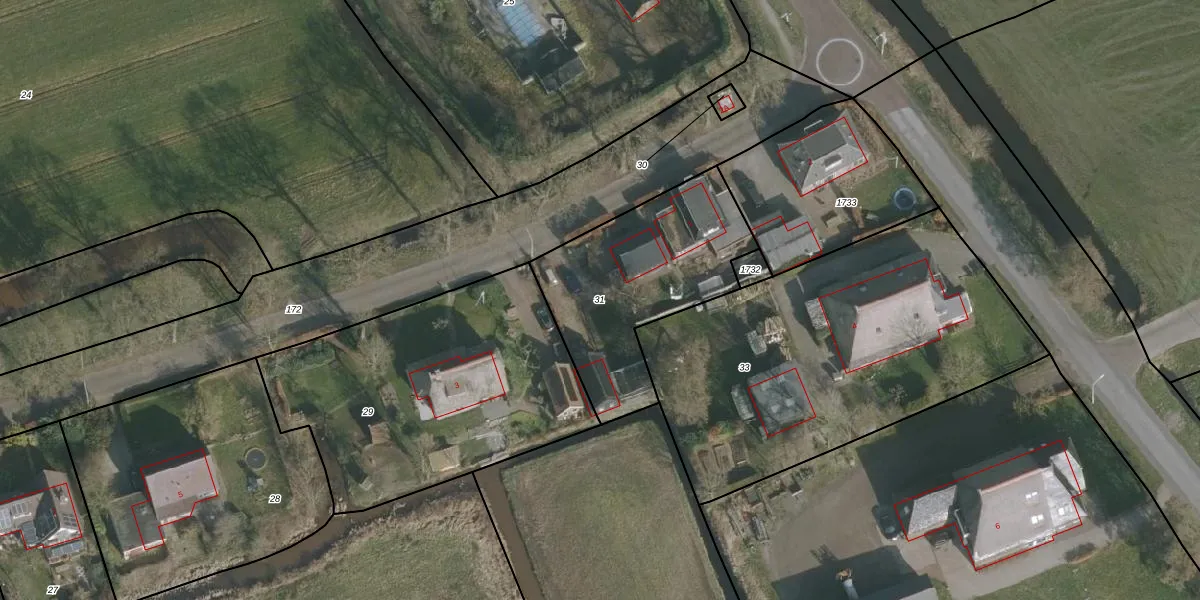
Perceel: HDG00-I-31
KadastraleKaart.com kan meer dan je denktOntdek meer ›
Filter op bestemming 50+ datasets Eigendomsdata in één klik Percelen CRM
790 m2 - 133 m
Eigenaar opvragen
HDG00-I-31 (Hardegarijp)
- 9255 LH
tDvRe1swYxMWj4nMCpa9 Kz0jUpgrade naar KadastraleKaart Pro
Verkoopprijs opvragen
Bekijk op Street View
Download DWG/DXF/Excel
CqnJcZWa0D7j NA myOUpgrade naar KadastraleKaart Pro
7 FaEMDtV7FUpgrade naar KadastraleKaart Pro
8Deu DH6cXIkPFUpgrade naar KadastraleKaart Pro
WDPIwUVuPFN4QpVvNDUpgrade naar KadastraleKaart Pro
XcIXtX4jUpgrade naar KadastraleKaart Pro
VXLg LJ1XTj6ubUpgrade naar KadastraleKaart Pro
1 HdYzkdcUpgrade naar KadastraleKaart Pro
WcU1BggjKC hKsoeQoUpgrade naar KadastraleKaart Pro
U6yBJJnAX I OUpgrade naar KadastraleKaart Pro
ERlqhkxJyVbxBDUpgrade naar KadastraleKaart Pro
29/11/2023

Percelen
Gebruik de zoekbalk of klik op een perceel om informatie over het perceel te bekijken.