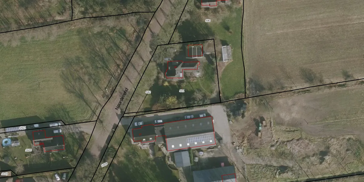
Perceel: HDG00-I-591
KadastraleKaart.com kan meer dan je denktOntdek meer ›
Filter op bestemming 50+ datasets Eigendomsdata in één klik Percelen CRM
1.480 m2 - 161 m
Eigenaar opvragen
HDG00-I-591 (Hardegarijp)
- 9265 LN
GPZ12xEe upUjkDOH Y9Upgrade naar KadastraleKaart Pro
Verkoopprijs opvragen
Bekijk op Street View
Download DWG/DXF/Excel
8bxujj8fUxUpgrade naar KadastraleKaart Pro
b8IpdDV Jb8jUpgrade naar KadastraleKaart Pro
4C8e Uz 2vMrT Upgrade naar KadastraleKaart Pro
dvnjtqCY5CffGFKKDP MUpgrade naar KadastraleKaart Pro
Ay kVbuTw4 nmS pUpgrade naar KadastraleKaart Pro
1 6el0NKwn9P2IUpgrade naar KadastraleKaart Pro
eTHvX8 tWUpgrade naar KadastraleKaart Pro
pDzNwcVizuf9EsXUpgrade naar KadastraleKaart Pro
i wVceOLeCDbDosJeFPUpgrade naar KadastraleKaart Pro
tvvsC KxLf5fUpgrade naar KadastraleKaart Pro
08/01/2003

Percelen
Gebruik de zoekbalk of klik op een perceel om informatie over het perceel te bekijken.