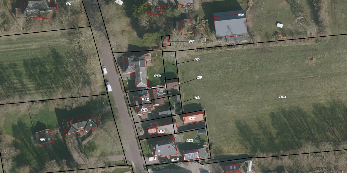
Perceel: HDG00-I-627
KadastraleKaart.com kan meer dan je denktOntdek meer ›
Filter op bestemming 50+ datasets Eigendomsdata in één klik Percelen CRM
Geen adressen bij dit perceel
75 m2 - 34 m
Eigenaar opvragen
HDG00-I-627 (Hardegarijp)
- Geen postcode aanwezig
me0dKIWPhDZuQ6IjCC Upgrade naar KadastraleKaart Pro
Bekijk op Street View
Download DWG/DXF/Excel
3q0E AQfD0 gZWRGrmTUpgrade naar KadastraleKaart Pro
rVwU1P2BhzXMbKcp Upgrade naar KadastraleKaart Pro
JyHVcu2KsYB48YLCUpgrade naar KadastraleKaart Pro
7pgbVNTcQHjFE3N Upgrade naar KadastraleKaart Pro
cK4CXmJci 98grhPaE1Upgrade naar KadastraleKaart Pro
VSkYTL KdUpgrade naar KadastraleKaart Pro
9QQZCo9 edYTHVUpgrade naar KadastraleKaart Pro
g58T8xHhpmk 82Upgrade naar KadastraleKaart Pro
iFC35YXcgYsdCX8 qXRH Upgrade naar KadastraleKaart Pro
zjYWO5KtIbEJ5XhOlm fUpgrade naar KadastraleKaart Pro
19/05/2003

Percelen
Gebruik de zoekbalk of klik op een perceel om informatie over het perceel te bekijken.