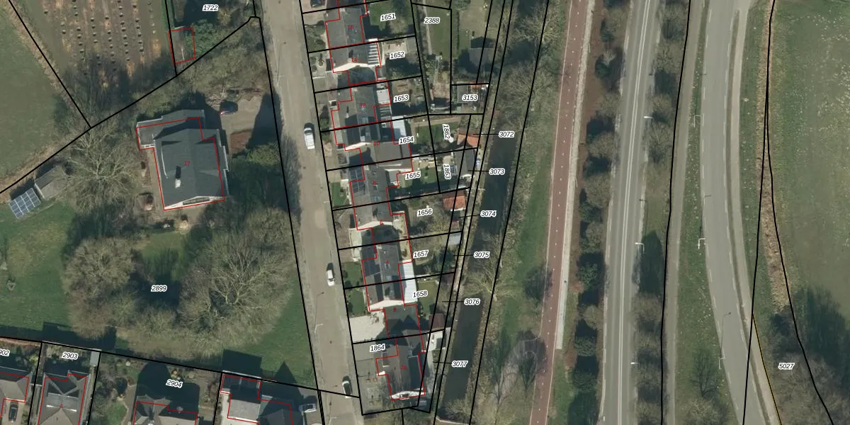
Perceel: HDL01-H-1656
KadastraleKaart.com kan meer dan je denktOntdek meer ›
Filter op bestemming 50+ datasets Eigendomsdata in één klik Percelen CRM
266 m2 - 76 m
Eigenaar opvragen
HDL01-H-1656 (Hedel)
- 5321 VG
2Hsg1l6o M peG3tfm wnUpgrade naar KadastraleKaart Pro
Bekijk op Street View
Download DWG/DXF/Excel
uJlAlkFw9ge G1oBGUpgrade naar KadastraleKaart Pro
9qL6Syvs 2T Upgrade naar KadastraleKaart Pro
eaEYZS stn0Ld0 b7lhGxmUpgrade naar KadastraleKaart Pro
GqvamrKBgj3p78I5iqEUpgrade naar KadastraleKaart Pro
5aWuxpN2O0JmNrDX46bWUpgrade naar KadastraleKaart Pro
dwH vtzUpgrade naar KadastraleKaart Pro
WAc7fXAWE3 NnCN8k3brUpgrade naar KadastraleKaart Pro
RpeKE1h 7Upgrade naar KadastraleKaart Pro
SiAH sHyUpgrade naar KadastraleKaart Pro
SUgA5S92Upgrade naar KadastraleKaart Pro
21/11/2001

Percelen
Gebruik de zoekbalk of klik op een perceel om informatie over het perceel te bekijken.