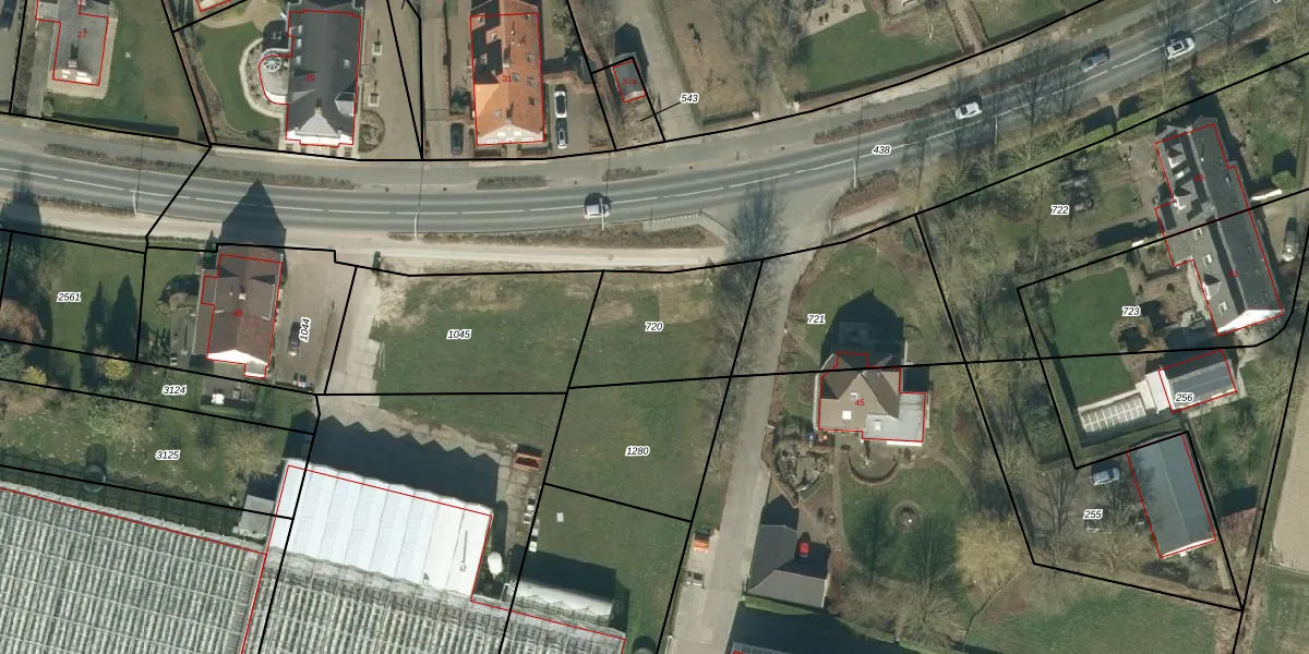
Perceel: HDL01-L-720
KadastraleKaart.com kan meer dan je denktOntdek meer ›
Filter op bestemming 50+ datasets Eigendomsdata in één klik Percelen CRM
Geen adressen bij dit perceel
420 m2 - 87 m
Eigenaar opvragen
HDL01-L-720 (Hedel)
- Geen postcode aanwezig
tB 0qbOpF65Xstbr7h8sDZE7CUpgrade naar KadastraleKaart Pro
Bekijk op Street View
Download DWG/DXF/Excel
Yyeyofx65ld eMCYj9Upgrade naar KadastraleKaart Pro
cdfxLckecrBgHv upgcUpgrade naar KadastraleKaart Pro
D 6BrkNLdUpgrade naar KadastraleKaart Pro
aF JtCl64cUpgrade naar KadastraleKaart Pro
1 H9aDG02ty1UGXUpgrade naar KadastraleKaart Pro
g9 VFrXPECUpgrade naar KadastraleKaart Pro
wJoQb5 S4vyFEUpgrade naar KadastraleKaart Pro
9LbttTbPtZ nUpgrade naar KadastraleKaart Pro
ItcUSOo SdkIKYRJUpgrade naar KadastraleKaart Pro
YP5lrP1 kxUpgrade naar KadastraleKaart Pro
20/12/2007

Percelen
Gebruik de zoekbalk of klik op een perceel om informatie over het perceel te bekijken.