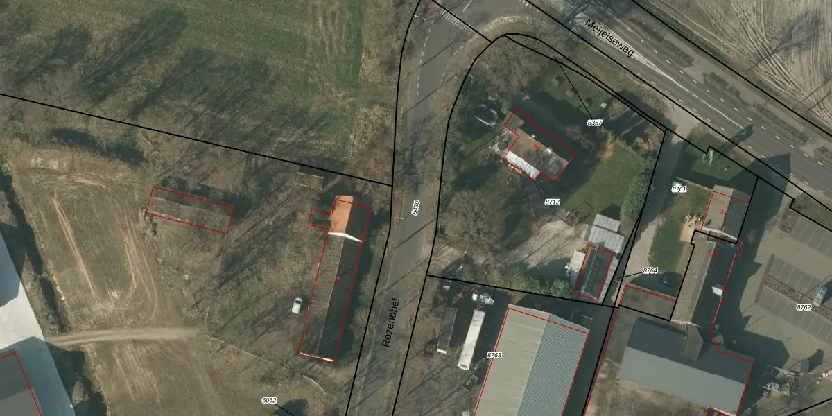
Perceel: HDN01-A-8430
KadastraleKaart.com kan meer dan je denktOntdek meer ›
Filter op bestemming 50+ datasets Eigendomsdata in één klik Percelen CRM
Geen adressen bij dit perceel
1.835 m2 - 329 m
Eigenaar opvragen
HDN01-A-8430 (Helden)
- Geen postcode aanwezig
xyoX5G LISal 0K1n4JI72PrtUpgrade naar KadastraleKaart Pro
Bekijk op Street View
Download DWG/DXF/Excel
JX2md35PflQOQcXUpgrade naar KadastraleKaart Pro
yTBNKzn6jUpgrade naar KadastraleKaart Pro
PQyD3Ke7JKmxUpgrade naar KadastraleKaart Pro
9IV8ALiJiUpgrade naar KadastraleKaart Pro
NyB gY teUpgrade naar KadastraleKaart Pro
ZPL0JMA2GQBWbxUpgrade naar KadastraleKaart Pro
f22qbjrqezUT35Upgrade naar KadastraleKaart Pro
1B9wEajYNBsEXEoIGdLdFvmUpgrade naar KadastraleKaart Pro
xk5pWzVS1okhoWt9sqUpgrade naar KadastraleKaart Pro
0AFy EP7 CjUpgrade naar KadastraleKaart Pro
04/12/2009

Percelen
Gebruik de zoekbalk of klik op een perceel om informatie over het perceel te bekijken.