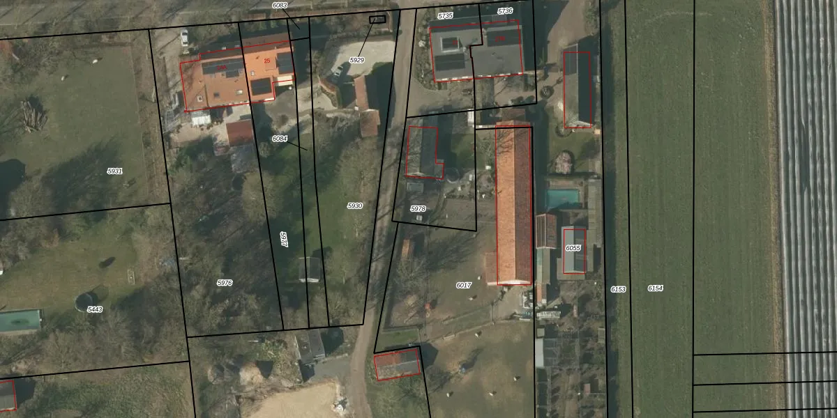
Perceel: HDN01-B-5978

Adres bij perceel

Geen adressen bij dit perceel

Perceeloppervlakte & perceelomtrek

493 m2 - 91 m

Eigenaar van het perceel

Eigenaar opvragen

Kadastrale aanduiding

HDN01-B-5978 (Helden)

Postcode in perceel

    Geen postcode aanwezig

Type eigenaar

Tdzk9DV6sOKwwzyQP91Mu6Ur K 1cUpgrade naar KadastraleKaart Pro

Google Street View

Bekijk op Street View

Download

Download DWG/DXF/Excel

Gerelateerde percelen

mpdC3Ud7DOa5ano00 K gXUpgrade naar KadastraleKaart Pro

Bebouwd/onbebouwd/water/groen

1nL8 nLG jn0P1eUpgrade naar KadastraleKaart Pro
Administratieve eenheden
KSUdGGTdP4uXUfs1swl xUpgrade naar KadastraleKaart Pro

Appartementsrechten

HNvSzSJigUpgrade naar KadastraleKaart Pro

Vergunningverlenende instanties

rsp ThBNm Upgrade naar KadastraleKaart Pro

Bedekking (BGT)

KeKx2qLAUpgrade naar KadastraleKaart Pro

Publiekrechtelijke beperkingen

qJbpmo8xOz csg9EIiKUpgrade naar KadastraleKaart Pro

Grensnauwkeurigheid

VbSM N3HVHXSUUpgrade naar KadastraleKaart Pro

Coördinaten hoekpunten perceel

14GgflQF91wp9ma3QyVFUpgrade naar KadastraleKaart Pro

Hoogteligging

nmYNsnHy3rteUpgrade naar KadastraleKaart Pro

Laatst gewijzigd

11/12/2006

Kadastrale kaart met maatvoering 59,95
Kadastrale kaart pakket 28,95

Percelen

Gebruik de zoekbalk of klik op een perceel om informatie over het perceel te bekijken.
Locatie
Meten
Lagen
Download