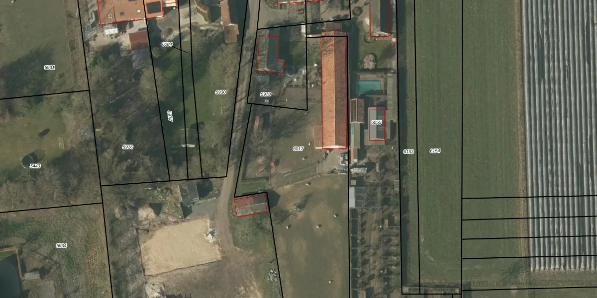
Perceel: HDN01-B-6017

Adres bij perceel

Geen adressen bij dit perceel

Perceeloppervlakte & perceelomtrek

2.370 m2 - 262 m

Eigenaar van het perceel

Eigenaar opvragen

Kadastrale aanduiding

HDN01-B-6017 (Helden)

Postcode in perceel

    Geen postcode aanwezig

Type eigenaar

IyIix Ws 7pr4kiqDVvUpgrade naar KadastraleKaart Pro

Google Street View

Bekijk op Street View

Download

Download DWG/DXF/Excel

Gerelateerde percelen

XL1 vFh3e I atQOUpgrade naar KadastraleKaart Pro

Bebouwd/onbebouwd/water/groen

Ft79N3dR4jQvRUpgrade naar KadastraleKaart Pro
Administratieve eenheden
dHrXjbWteS YBtR7Y5zUpgrade naar KadastraleKaart Pro

Appartementsrechten

rJGgIGFMWKUpgrade naar KadastraleKaart Pro

Vergunningverlenende instanties

eIWp3uv 6PFoy3NNrUpgrade naar KadastraleKaart Pro

Bedekking (BGT)

6 kZ wYqUpgrade naar KadastraleKaart Pro

Publiekrechtelijke beperkingen

eZzJ trpM A46T1YUpgrade naar KadastraleKaart Pro

Grensnauwkeurigheid

1 l Dnv3slUpgrade naar KadastraleKaart Pro

Coördinaten hoekpunten perceel

hS1BGRlWUpgrade naar KadastraleKaart Pro

Hoogteligging

wRgWHLH8 vYx27Upgrade naar KadastraleKaart Pro

Laatst gewijzigd

11/12/2006

Kadastrale kaart met maatvoering 59,95
Kadastrale kaart pakket 28,95

Percelen

Gebruik de zoekbalk of klik op een perceel om informatie over het perceel te bekijken.
Locatie
Meten
Lagen
Download