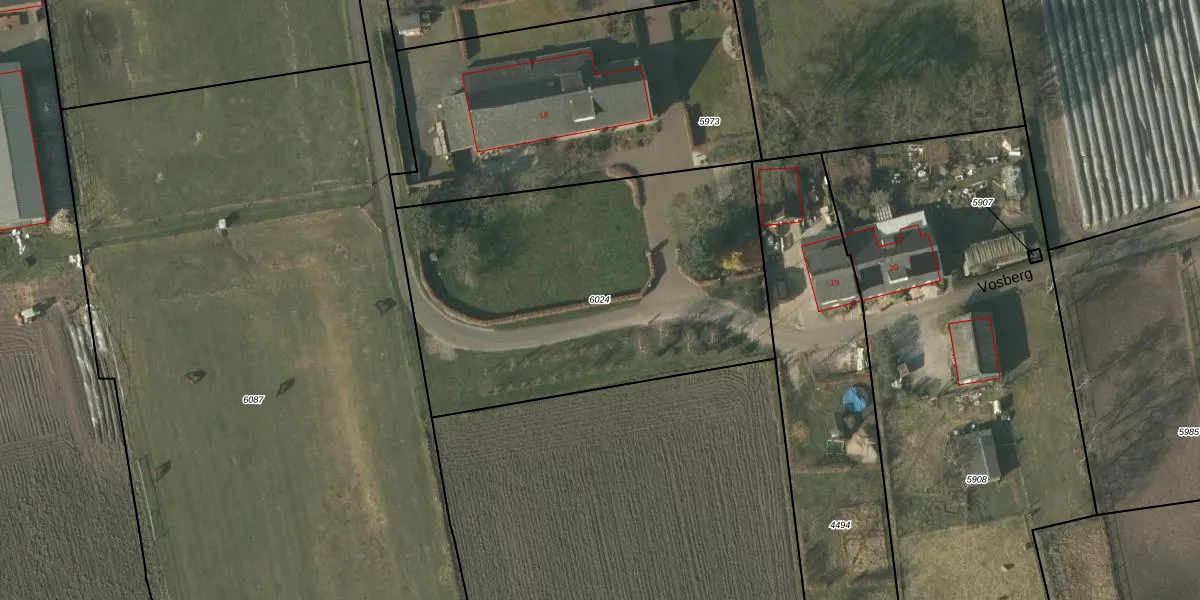
Perceel: HDN01-B-6024

Adres bij perceel

Geen adressen bij dit perceel

Perceeloppervlakte & perceelomtrek

2.030 m2 - 186 m

Eigenaar van het perceel

Eigenaar opvragen

Kadastrale aanduiding

HDN01-B-6024 (Helden)

Postcode in perceel

    Geen postcode aanwezig

Type eigenaar

16mtO5 7qVcDVc8iOyL GIsjBqeAURTUpgrade naar KadastraleKaart Pro

Google Street View

Bekijk op Street View

Download

Download DWG/DXF/Excel

Gerelateerde percelen

qfC5TQQ XN GI16Y8LUpgrade naar KadastraleKaart Pro

Bebouwd/onbebouwd/water/groen

5Fvf0yCa6EUpgrade naar KadastraleKaart Pro
Administratieve eenheden
k ig 6vDREoQVzUztP Upgrade naar KadastraleKaart Pro

Appartementsrechten

TkQvPaqbtMll8 imk8Upgrade naar KadastraleKaart Pro

Vergunningverlenende instanties

Dcbvv azGlUUpgrade naar KadastraleKaart Pro

Bedekking (BGT)

Kf7RxL 41rIu3nUpgrade naar KadastraleKaart Pro

Publiekrechtelijke beperkingen

qIj2dOGqtK9 22aIkcUpgrade naar KadastraleKaart Pro

Grensnauwkeurigheid

JHOLgXz i8VCdW7K8nUpgrade naar KadastraleKaart Pro

Coördinaten hoekpunten perceel

77M42pvLp ySiI6WUlUpgrade naar KadastraleKaart Pro

Hoogteligging

WkUkYQVtk5sDeJcUpgrade naar KadastraleKaart Pro

Laatst gewijzigd

11/12/2006

Kadastrale kaart met maatvoering 59,95
Kadastrale kaart pakket 28,95

Percelen

Gebruik de zoekbalk of klik op een perceel om informatie over het perceel te bekijken.
Locatie
Meten
Lagen
Download