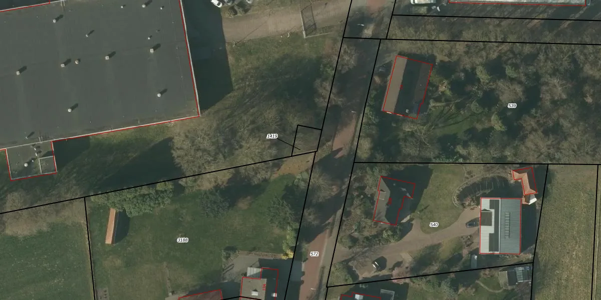
Perceel: HDN01-G-1419
KadastraleKaart.com kan meer dan je denktOntdek meer ›
Filter op bestemming 50+ datasets Eigendomsdata in één klik Percelen CRM
Geen adressen bij dit perceel
70 m2 - 35 m
Eigenaar opvragen
HDN01-G-1419 (Helden)
- Geen postcode aanwezig
CY6k3CsSq6CJdazDaat2Ak8FxUpgrade naar KadastraleKaart Pro
Bekijk op Street View
Download DWG/DXF/Excel
Kbs7tC6oH 9HIMsUpgrade naar KadastraleKaart Pro
lLXFk DlJ oUpgrade naar KadastraleKaart Pro
ina9orQwj6Upgrade naar KadastraleKaart Pro
FxSw Z4oS5n7F3HCxu8ETzzUpgrade naar KadastraleKaart Pro
SIDE13Ycz9WCpzyRTUpgrade naar KadastraleKaart Pro
PW hEflA pTuE3npKUpgrade naar KadastraleKaart Pro
8TyA4y N0Yaqvv aKb xUpgrade naar KadastraleKaart Pro
phq4UQ Vzi7h d yUlqbUpgrade naar KadastraleKaart Pro
Ur37mp0DH0 Sl2U 8lUpgrade naar KadastraleKaart Pro
F7 Jsck5 te5G0y fz rVKiUpgrade naar KadastraleKaart Pro
16/01/2007

Percelen
Gebruik de zoekbalk of klik op een perceel om informatie over het perceel te bekijken.