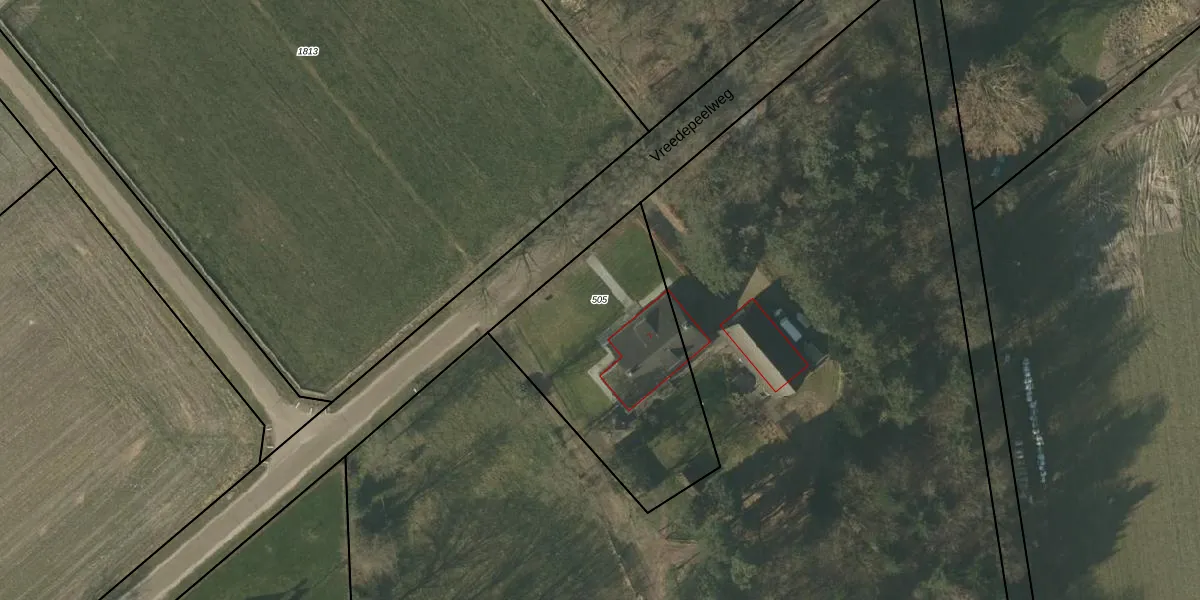
Perceel: HDN01-H-505
KadastraleKaart.com kan meer dan je denktOntdek meer ›
Filter op bestemming 50+ datasets Eigendomsdata in één klik Percelen CRM
990 m2 - 134 m
Eigenaar opvragen
HDN01-H-505 (Helden)
- 5986 NW
cN ScLcQKtpzZm6FecsY62j9BUNb ooUpgrade naar KadastraleKaart Pro
Verkoopprijs opvragen
Bekijk op Street View
Download DWG/DXF/Excel
a Nre SKaIps rUpgrade naar KadastraleKaart Pro
vQrQXcFgBL4Upgrade naar KadastraleKaart Pro
ZYF E7Ryo7eNaQ OJBbUpgrade naar KadastraleKaart Pro
2GI nd7jVe hp4cgpyUpgrade naar KadastraleKaart Pro
MsCVpI e RUpgrade naar KadastraleKaart Pro
urxcA pjIxjjRUpgrade naar KadastraleKaart Pro
NUuoJNvBcUUpgrade naar KadastraleKaart Pro
6OeaN0Cxsf6PH9Upgrade naar KadastraleKaart Pro
Fgl MvhjC2 Upgrade naar KadastraleKaart Pro
Z0UB CP Upgrade naar KadastraleKaart Pro
18/12/2006

Percelen
Gebruik de zoekbalk of klik op een perceel om informatie over het perceel te bekijken.