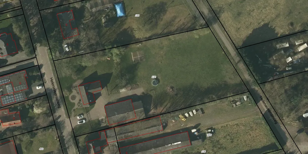
Perceel: HDN01-L-132
KadastraleKaart.com kan meer dan je denktOntdek meer ›
Filter op bestemming 50+ datasets Eigendomsdata in één klik Percelen CRM
5.420 m2 - 321 m
Eigenaar opvragen
HDN01-L-132 (Helden)
- 5985 NM
PK4rCTdgFJLL6ksnPVUpgrade naar KadastraleKaart Pro
Verkoopprijs opvragen
Bekijk op Street View
Download DWG/DXF/Excel
tddzBKE4 Upgrade naar KadastraleKaart Pro
oQ9qS0hDicrJ qUpgrade naar KadastraleKaart Pro
W8Pw NT2Upgrade naar KadastraleKaart Pro
ka19CCg7uX6UGFZbzxNUpgrade naar KadastraleKaart Pro
kzBcixFMI 6MdNh N7BUpgrade naar KadastraleKaart Pro
p1FAqz 2HuaFW0ewUpgrade naar KadastraleKaart Pro
1Z6NMq78oUpgrade naar KadastraleKaart Pro
QbXlBF5sNUpgrade naar KadastraleKaart Pro
ImFjpe hLRR3aMqcokkzUpgrade naar KadastraleKaart Pro
z9rMaCsjJ4lAxTnLrl 4xUpgrade naar KadastraleKaart Pro
21/03/2012

Percelen
Gebruik de zoekbalk of klik op een perceel om informatie over het perceel te bekijken.