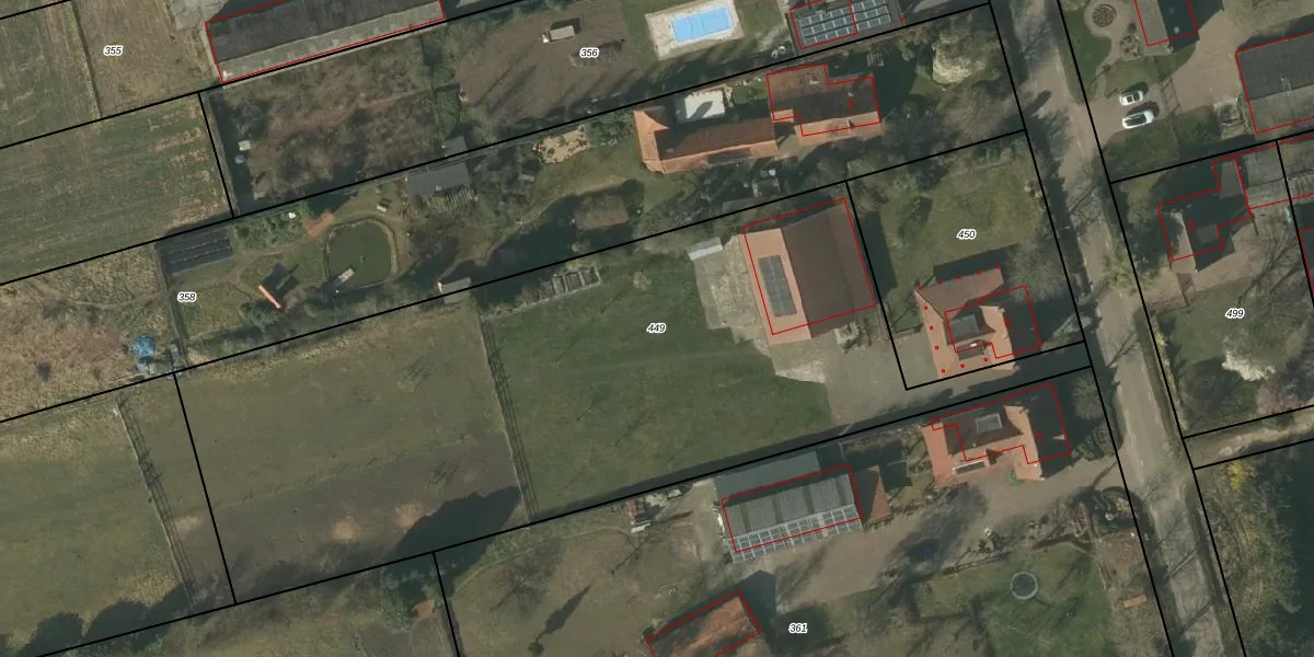
Perceel: HDN01-L-449
KadastraleKaart.com kan meer dan je denktOntdek meer ›
Filter op bestemming 50+ datasets Eigendomsdata in één klik Percelen CRM
Geen adressen bij dit perceel
4.060 m2 - 343 m
Eigenaar opvragen
HDN01-L-449 (Helden)
- Geen postcode aanwezig
nQ2wWffaTKCktm1ErC9gZVcQfbMJY Upgrade naar KadastraleKaart Pro
Bekijk op Street View
Download DWG/DXF/Excel
qR40CYsGWiEE1Upgrade naar KadastraleKaart Pro
KZo7SRcw7rjS8UcPyjUpgrade naar KadastraleKaart Pro
sL1 YWSs6c9hGag0MItUpgrade naar KadastraleKaart Pro
zbF4l1 cdvkWnRptgRUkR sUpgrade naar KadastraleKaart Pro
ZVPHb6veq ykce TDv4Upgrade naar KadastraleKaart Pro
DA4udDzzaUpgrade naar KadastraleKaart Pro
AxQFqKl keEGfUqUpgrade naar KadastraleKaart Pro
rN5pGjTWuTUpgrade naar KadastraleKaart Pro
H0JnLUidUpgrade naar KadastraleKaart Pro
yF8bRwru6mvwYoEz Upgrade naar KadastraleKaart Pro
12/12/2006

Percelen
Gebruik de zoekbalk of klik op een perceel om informatie over het perceel te bekijken.