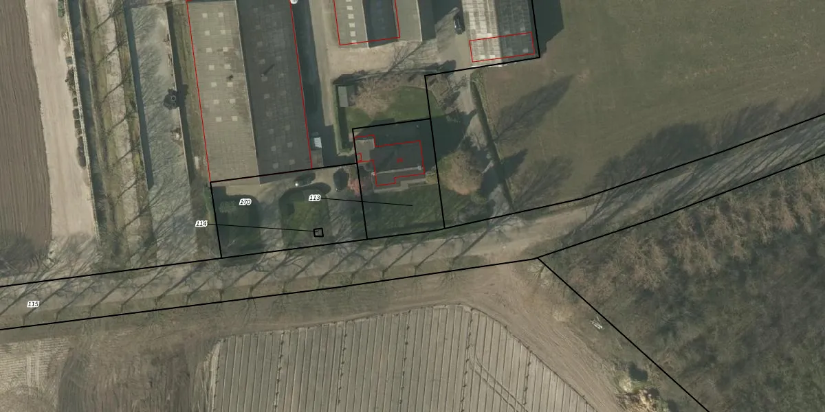
Perceel: HDN01-M-113
KadastraleKaart.com kan meer dan je denktOntdek meer ›
Filter op bestemming 50+ datasets Eigendomsdata in één klik Percelen CRM
514 m2 - 92 m
Eigenaar opvragen
HDN01-M-113 (Helden)
- 5986 ND
ikurP9I Xb68jxPOJ3JcHXgEiJ4sLUpgrade naar KadastraleKaart Pro
Bekijk op Street View
Download DWG/DXF/Excel
P5nr0WQ Ljd tVytK HlUpgrade naar KadastraleKaart Pro
o HK 5gVUpgrade naar KadastraleKaart Pro
NGkYIoVLCq QTOGw4vhMUpgrade naar KadastraleKaart Pro
57OdaxL MVVH TVr EUpgrade naar KadastraleKaart Pro
CNeNtL0isPRlyiUpgrade naar KadastraleKaart Pro
URS47oIsmHVPZOrhWnEYMUpgrade naar KadastraleKaart Pro
a3XAW 4Q7 bDrjbKVtyUpgrade naar KadastraleKaart Pro
T5W2DsyPCBY7MgUpgrade naar KadastraleKaart Pro
tmZLrg 3DgYUpgrade naar KadastraleKaart Pro
qgzLG1wJOajxkIN5Upgrade naar KadastraleKaart Pro
10/03/2023

Percelen
Gebruik de zoekbalk of klik op een perceel om informatie over het perceel te bekijken.