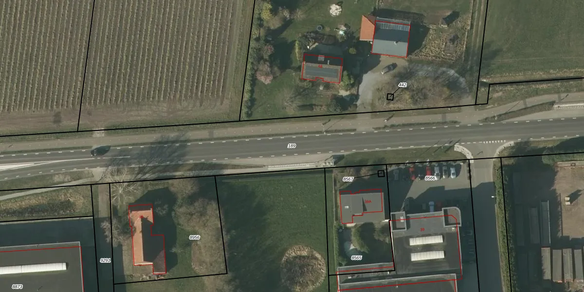
Perceel: HDN01-N-189
KadastraleKaart.com kan meer dan je denktOntdek meer ›
Filter op bestemming 50+ datasets Eigendomsdata in één klik Percelen CRM
Geen adressen bij dit perceel
27.043 m2 - 3.315 m
Eigenaar opvragen
HDN01-N-189 (Helden)
- Geen postcode aanwezig
A OEgpcyPe1Jqzky9c8Upgrade naar KadastraleKaart Pro
Bekijk op Street View
Download DWG/DXF/Excel
XTaoZm4HdNu Z Y KcV9y1Upgrade naar KadastraleKaart Pro
y6SfvPucXkVmnpxlBGUpgrade naar KadastraleKaart Pro
IozDbUgaUpgrade naar KadastraleKaart Pro
yd8VAUwubmUegQiKvsUpgrade naar KadastraleKaart Pro
L P XxJEkS7vL6t4cUpgrade naar KadastraleKaart Pro
bfFG9e1SZ rmZ c foUpgrade naar KadastraleKaart Pro
Fz l0CQ3q3lcj9GaDUpgrade naar KadastraleKaart Pro
vINAhqegL1awn4pGjRIrEkUUpgrade naar KadastraleKaart Pro
j0XrzGOS KtCS2X xa5tnUpgrade naar KadastraleKaart Pro
9kYxgNIUpgrade naar KadastraleKaart Pro
15/04/2024

Percelen
Gebruik de zoekbalk of klik op een perceel om informatie over het perceel te bekijken.