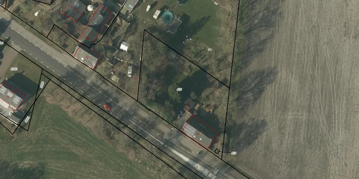
Perceel: HDN01-N-420

Adres bij perceel

Perceeloppervlakte & perceelomtrek

2.011 m2 - 203 m

Eigenaar van het perceel

Eigenaar opvragen

Kadastrale aanduiding

HDN01-N-420 (Helden)

Postcode in perceel

    5986 NJ

Type eigenaar

4upPji KFrv918OOnO8pazVdQbcoC FUpgrade naar KadastraleKaart Pro

Woning verkocht in 2025

Verkoopprijs opvragen

Google Street View

Bekijk op Street View

Download

Download DWG/DXF/Excel

Gerelateerde percelen

1gvFq2ciXZfOsBnUpgrade naar KadastraleKaart Pro

Bebouwd/onbebouwd/water/groen

6t URIY b2kXzrUcoYUpgrade naar KadastraleKaart Pro
Administratieve eenheden
XFg QK7fr7QX4MDei9ygXmUpgrade naar KadastraleKaart Pro

Appartementsrechten

rB3zhrXK2Upgrade naar KadastraleKaart Pro

Vergunningverlenende instanties

6 xiv2MzxSVE p0Upgrade naar KadastraleKaart Pro

Bedekking (BGT)

WIJuJ0o7 pw 4b Upgrade naar KadastraleKaart Pro

Publiekrechtelijke beperkingen

axCharln0LQ Z9W XbxueUUpgrade naar KadastraleKaart Pro

Grensnauwkeurigheid

obq7DnmapKHSG03W0Upgrade naar KadastraleKaart Pro

Coördinaten hoekpunten perceel

uS9Az24BIr WOe9lUpgrade naar KadastraleKaart Pro

Hoogteligging

KpAYNLW P Upgrade naar KadastraleKaart Pro

Laatst gewijzigd

13/12/2006

Kadastrale kaart met maatvoering 59,95
Kadastrale kaart pakket 28,95

Percelen

Gebruik de zoekbalk of klik op een perceel om informatie over het perceel te bekijken.
Locatie
Meten
Lagen
Download