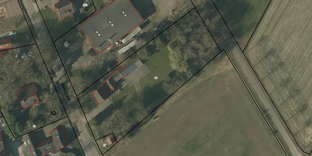
Perceel: HDN01-P-66
KadastraleKaart.com kan meer dan je denktOntdek meer ›
Filter op bestemming 50+ datasets Eigendomsdata in één klik Percelen CRM
3.444 m2 - 266 m
Eigenaar opvragen
HDN01-P-66 (Helden)
- 5986 NC
0XbviRVPQ5n7Icbu6Upgrade naar KadastraleKaart Pro
Verkoopprijs opvragen
Bekijk op Street View
Download DWG/DXF/Excel
W YVna4RHWQ pUpgrade naar KadastraleKaart Pro
3pWo ibXTnvwHTn2YTPUpgrade naar KadastraleKaart Pro
2D0pf WUTnCOG 2RUpgrade naar KadastraleKaart Pro
03X6ThwFf xGT1kYLNdJ4KUpgrade naar KadastraleKaart Pro
3xup3f6UEXAvP2 a5s9yvQUpgrade naar KadastraleKaart Pro
eF AFDdBR8Upgrade naar KadastraleKaart Pro
1KUUIvoj56GcUpgrade naar KadastraleKaart Pro
77zNERAnUpgrade naar KadastraleKaart Pro
XMTkJwAe YnNS0 ymrUpgrade naar KadastraleKaart Pro
utuakQYBBWqgxPvZUpgrade naar KadastraleKaart Pro
20/12/2006

Percelen
Gebruik de zoekbalk of klik op een perceel om informatie over het perceel te bekijken.