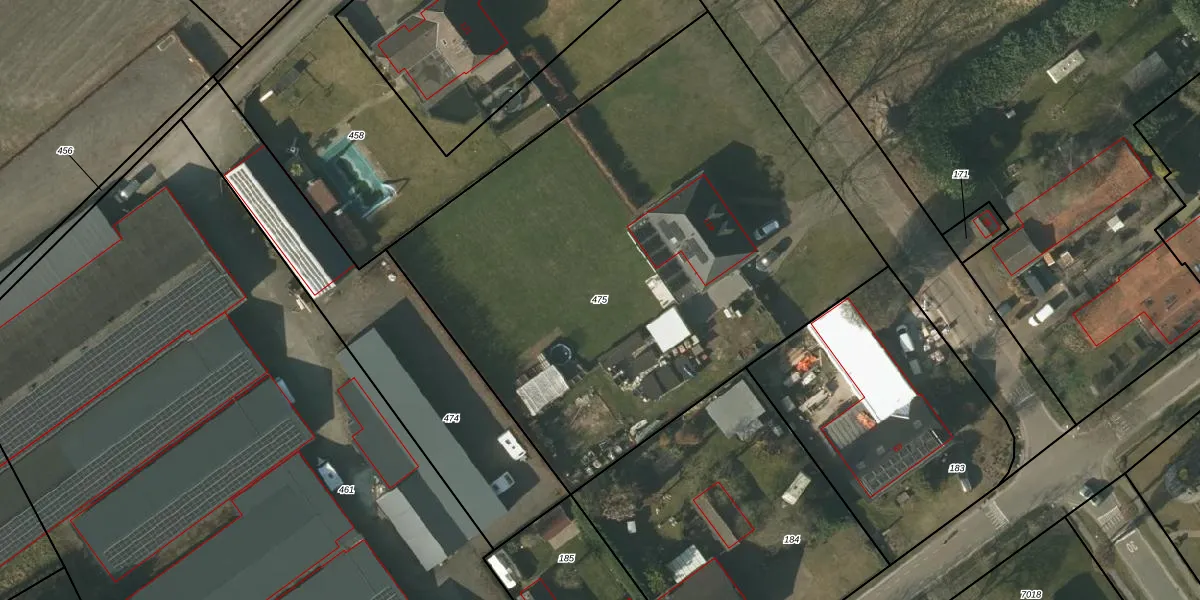
Perceel: HDN01-R-475
KadastraleKaart.com kan meer dan je denktOntdek meer ›
Filter op bestemming 50+ datasets Eigendomsdata in één klik Percelen CRM
3.399 m2 - 235 m
Eigenaar opvragen
HDN01-R-475 (Helden)
- 5984 NM
OvBenhjmJvz5LghXRIQuMi9JHUUpgrade naar KadastraleKaart Pro
Verkoopprijs opvragen
Bekijk op Street View
Download DWG/DXF/Excel
Hw uFVb 07E EU0m sgboUpgrade naar KadastraleKaart Pro
ThFPAWROUpgrade naar KadastraleKaart Pro
bCJYGPv Luqw G8C9 KVUpgrade naar KadastraleKaart Pro
nEJLkek5ZVPVlUpgrade naar KadastraleKaart Pro
OfaX4elrU W8DUpgrade naar KadastraleKaart Pro
GOnekzp8 n81olyyUpgrade naar KadastraleKaart Pro
3wIpEKAB zQm 9mKF7tDXUpgrade naar KadastraleKaart Pro
y8XIxl YUpgrade naar KadastraleKaart Pro
DBNuYLJLK 2Upgrade naar KadastraleKaart Pro
FdwqmA2 IUpgrade naar KadastraleKaart Pro
21/12/2006

Percelen
Gebruik de zoekbalk of klik op een perceel om informatie over het perceel te bekijken.