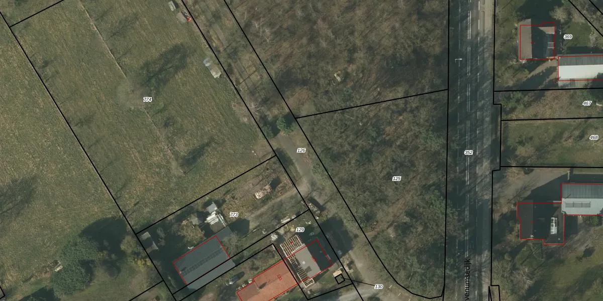
Perceel: HDN01-S-126
KadastraleKaart.com kan meer dan je denktOntdek meer ›
Filter op bestemming 50+ datasets Eigendomsdata in één klik Percelen CRM
Geen adressen bij dit perceel
3.027 m2 - 531 m
Eigenaar opvragen
HDN01-S-126 (Helden)
- Geen postcode aanwezig
uhrbfnt XKjPhK1QUpgrade naar KadastraleKaart Pro
Bekijk op Street View
Download DWG/DXF/Excel
mLUbt0aRG57 FlfOUpgrade naar KadastraleKaart Pro
5t D5D 1b8ZvLxcUpgrade naar KadastraleKaart Pro
4 LXN KAUpgrade naar KadastraleKaart Pro
uEGDTxDn4Upgrade naar KadastraleKaart Pro
EfxHhFtZV 29TUpgrade naar KadastraleKaart Pro
TlC3AvpbqzUpgrade naar KadastraleKaart Pro
efJu7C99Upgrade naar KadastraleKaart Pro
vVy1iuCe 52nUpgrade naar KadastraleKaart Pro
ExscGqnZiUpgrade naar KadastraleKaart Pro
aCqe9KWX5j9fUpgrade naar KadastraleKaart Pro
02/09/2022

Percelen
Gebruik de zoekbalk of klik op een perceel om informatie over het perceel te bekijken.