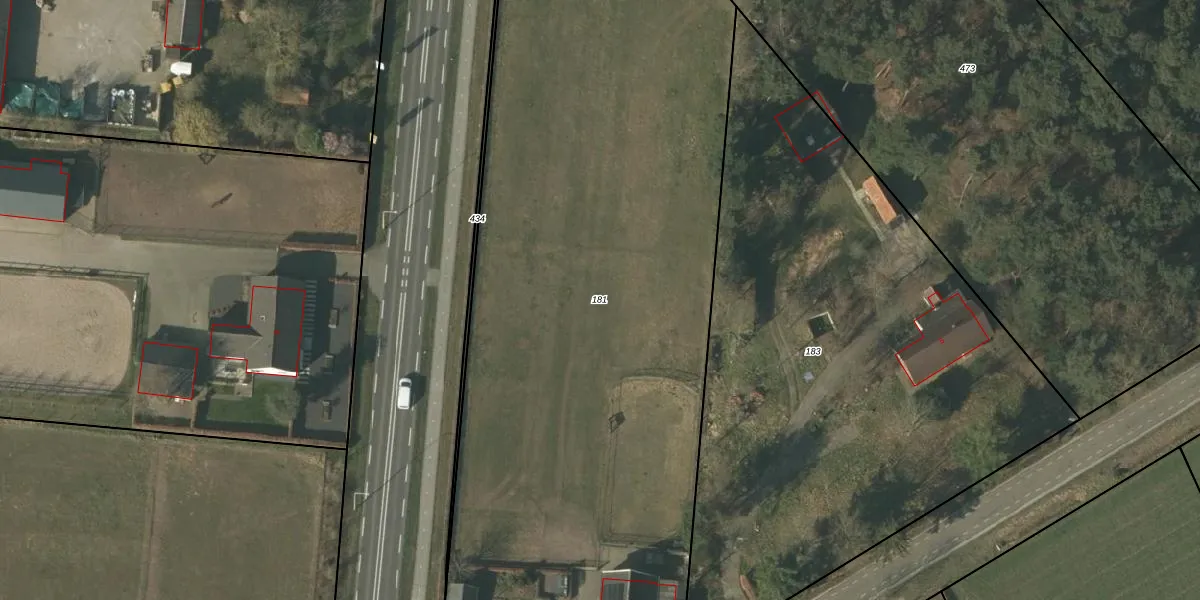
Perceel: HDN01-T-181
KadastraleKaart.com kan meer dan je denktOntdek meer ›
Filter op bestemming 50+ datasets Eigendomsdata in één klik Percelen CRM
5.688 m2 - 381 m
Eigenaar opvragen
HDN01-T-181 (Helden)
- 5984 NV
N2 KhkE7sfjC2ZSs0UbqzUpgrade naar KadastraleKaart Pro
Bekijk op Street View
Download DWG/DXF/Excel
k90i572KiuEaA8BuQUpgrade naar KadastraleKaart Pro
ajK0HO IybYSaNUpgrade naar KadastraleKaart Pro
y 7L3RSmFjBUpgrade naar KadastraleKaart Pro
AkBIYquNaUng2UbuLJWCUpgrade naar KadastraleKaart Pro
h 3x3bE FAEwHmhUpgrade naar KadastraleKaart Pro
XvCIToLd3946F4cwnGfRlZGUpgrade naar KadastraleKaart Pro
wh41dCnr25Hw9mGScbUpgrade naar KadastraleKaart Pro
65OcSEV 4tsUpgrade naar KadastraleKaart Pro
igiJ6vFy TZCzn YfUpgrade naar KadastraleKaart Pro
MrcC6J9 g40RmULqS jUpgrade naar KadastraleKaart Pro
01/04/2020

Percelen
Gebruik de zoekbalk of klik op een perceel om informatie over het perceel te bekijken.