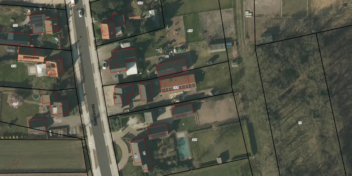
Perceel: HDN01-T-354
KadastraleKaart.com kan meer dan je denktOntdek meer ›
Filter op bestemming 50+ datasets Eigendomsdata in één klik Percelen CRM
1.240 m2 - 182 m
Eigenaar opvragen
HDN01-T-354 (Helden)
- 5981 PD
E9aF7Ez5FEe9Je1vouyT OiI Yym8GjUpgrade naar KadastraleKaart Pro
Verkoopprijs opvragen
Bekijk op Street View
Download DWG/DXF/Excel
wZny1yXpmU4Upgrade naar KadastraleKaart Pro
nlsB 811moI1vExrDsekZS2Upgrade naar KadastraleKaart Pro
6K0iEnIBqC6LPNUpgrade naar KadastraleKaart Pro
JUktbwCFKg2soUpgrade naar KadastraleKaart Pro
rSgFxT4NIi2 VUpgrade naar KadastraleKaart Pro
X70NLhb0ZiUpgrade naar KadastraleKaart Pro
IXKMAD EmvoYsOalnh5Upgrade naar KadastraleKaart Pro
2 880IPAyvNoUpgrade naar KadastraleKaart Pro
XD3K7R cGx9UO aOi7SnUpgrade naar KadastraleKaart Pro
4ESelGrsUpgrade naar KadastraleKaart Pro
19/01/2007

Percelen
Gebruik de zoekbalk of klik op een perceel om informatie over het perceel te bekijken.