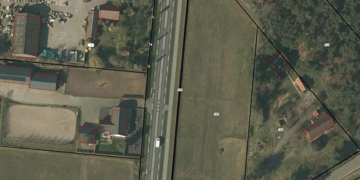
Perceel: HDN01-T-434
KadastraleKaart.com kan meer dan je denktOntdek meer ›
Filter op bestemming 50+ datasets Eigendomsdata in één klik Percelen CRM
Geen adressen bij dit perceel
50 m2 - 241 m
Eigenaar opvragen
HDN01-T-434 (Helden)
- Geen postcode aanwezig
ugJlF8Ul6ZOfsRIZ BL915oybwSO5Upgrade naar KadastraleKaart Pro
Bekijk op Street View
Download DWG/DXF/Excel
0d9 Q1VZIoQ p3Upgrade naar KadastraleKaart Pro
3QQEWXeKcALUpgrade naar KadastraleKaart Pro
qEr EeoyPLHUpgrade naar KadastraleKaart Pro
p fdkqtw0Ndk6gQuX2LIUpgrade naar KadastraleKaart Pro
lyh5S9M Z QUpgrade naar KadastraleKaart Pro
T1PHKkp7w NUDUpgrade naar KadastraleKaart Pro
EtHvekv STndmO6Q2tFUpgrade naar KadastraleKaart Pro
1NjiLjlWr2u q tUpgrade naar KadastraleKaart Pro
pJtD1 kKUpgrade naar KadastraleKaart Pro
U8iMU uVsojGDHkZ5Upgrade naar KadastraleKaart Pro
08/10/2014

Percelen
Gebruik de zoekbalk of klik op een perceel om informatie over het perceel te bekijken.