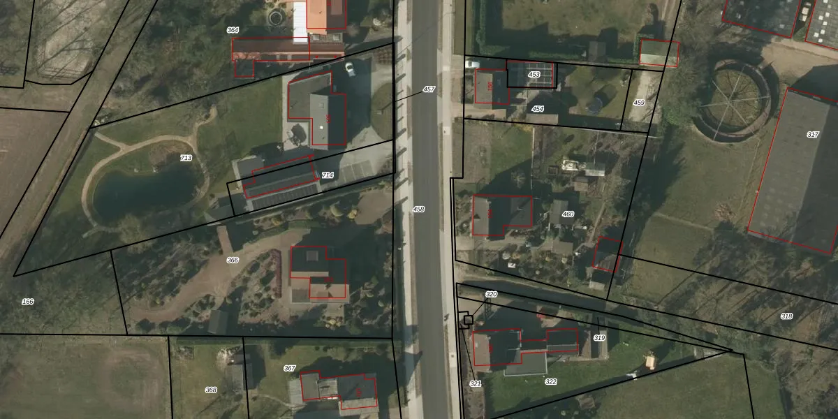
Perceel: HDN01-T-458
KadastraleKaart.com kan meer dan je denktOntdek meer ›
Filter op bestemming 50+ datasets Eigendomsdata in één klik Percelen CRM
Geen adressen bij dit perceel
15.194 m2 - 1.965 m
Eigenaar opvragen
HDN01-T-458 (Helden)
- Geen postcode aanwezig
hNSWwkdv9ca9Sp ATZeYXe3l1bThxUpgrade naar KadastraleKaart Pro
Bekijk op Street View
Download DWG/DXF/Excel
bTxF 2cYxQjHNxUpgrade naar KadastraleKaart Pro
M4gQcwdSk Qj aZ1dsHUpgrade naar KadastraleKaart Pro
kr3BAhhIhh9dspIRSM6I06Upgrade naar KadastraleKaart Pro
J6Is597 e4LhIKQgDdntOUpgrade naar KadastraleKaart Pro
PG9hZf5B0Pq jzulTqSguchUpgrade naar KadastraleKaart Pro
7g TTxS yRBf8Upgrade naar KadastraleKaart Pro
y9dalq4 hUpgrade naar KadastraleKaart Pro
s Gcb2a 5hmEFR1ecUpgrade naar KadastraleKaart Pro
Vk 0Qkj qPUpgrade naar KadastraleKaart Pro
eAtSOCZ g6lNUpgrade naar KadastraleKaart Pro
30/08/2023

Percelen
Gebruik de zoekbalk of klik op een perceel om informatie over het perceel te bekijken.