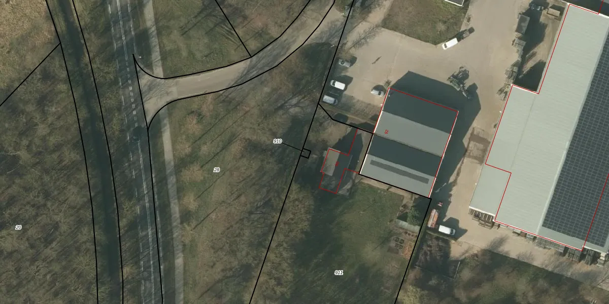
Perceel: HDN01-V-910
Geen adressen bij dit perceel
5 m2 - 10 m
Eigenaar opvragen
HDN01-V-910 (Helden)
- Geen postcode aanwezig
7f dbgbX3vLQtMyGJUpgrade naar KadastraleKaart Pro
Bekijk op Street View
Download DWG/DXF/Excel
2T9VikQlXjUpgrade naar KadastraleKaart Pro
L5WCEAMAUpgrade naar KadastraleKaart Pro
gBT mWuJWHEL4rRpDxEUpgrade naar KadastraleKaart Pro
sqt8fJ6 AyvCr Upgrade naar KadastraleKaart Pro
D5vWqUsZ1G8Upgrade naar KadastraleKaart Pro
dd5OZykKi781b tL3Upgrade naar KadastraleKaart Pro
8DfLSGh2MuJUpgrade naar KadastraleKaart Pro
zCe2oad9RUpgrade naar KadastraleKaart Pro
WzR8bb ThnuvUpgrade naar KadastraleKaart Pro
e 5FAN33pzUpgrade naar KadastraleKaart Pro
16/06/2008

Percelen
Gebruik de zoekbalk of klik op een perceel om informatie over het perceel te bekijken.