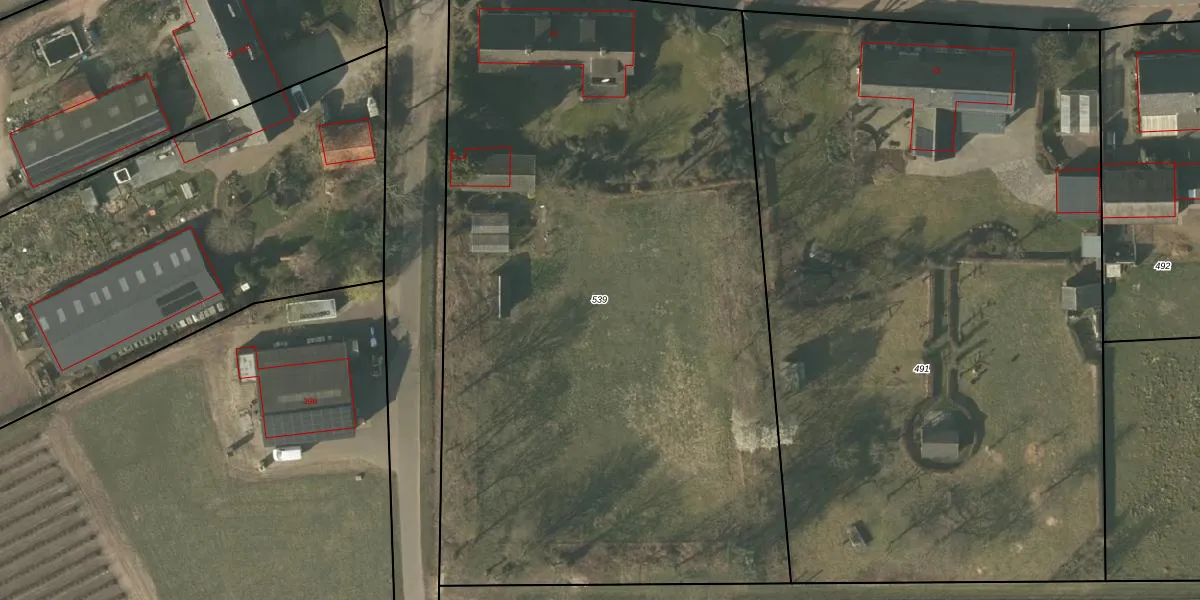
Perceel: HDN01-W-539
KadastraleKaart.com kan meer dan je denktOntdek meer ›
Filter op bestemming 50+ datasets Eigendomsdata in één klik Percelen CRM
5.282 m2 - 307 m
Eigenaar opvragen
HDN01-W-539 (Helden)
- 5988 NN
wvAS782USRMO1 IOt4 Upgrade naar KadastraleKaart Pro
Verkoopprijs opvragen
Bekijk op Street View
Download DWG/DXF/Excel
lHJ rxn2A6Xu7Upgrade naar KadastraleKaart Pro
01zCgPvufl csA3RUpgrade naar KadastraleKaart Pro
iItnC0m Upgrade naar KadastraleKaart Pro
2A VRqpiOwJZicLQXYnZpF Upgrade naar KadastraleKaart Pro
dQxDyDXAo5Fx9sDe3Upgrade naar KadastraleKaart Pro
CuFPzCq3kUpgrade naar KadastraleKaart Pro
AvYEL5PgoM37D2nSwY05yxUpgrade naar KadastraleKaart Pro
82CzdZxjpUpgrade naar KadastraleKaart Pro
g0FQw Hvoci81Upgrade naar KadastraleKaart Pro
nJ 85XMqv9II41A8fUpgrade naar KadastraleKaart Pro
03/01/2007

Percelen
Gebruik de zoekbalk of klik op een perceel om informatie over het perceel te bekijken.