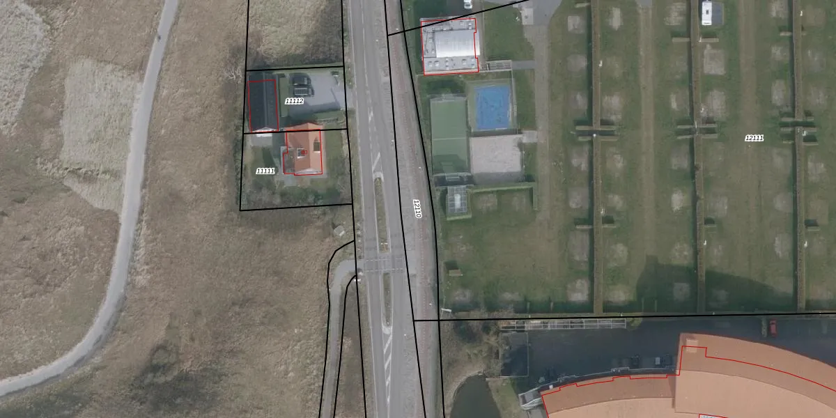
Perceel: HDR00-C-12110
KadastraleKaart.com kan meer dan je denktOntdek meer ›
Filter op bestemming 50+ datasets Eigendomsdata in één klik Percelen CRM
Geen adressen bij dit perceel
650 m2 - 148 m
Eigenaar opvragen
HDR00-C-12110 (Den Helder)
- Geen postcode aanwezig
DH eAsd GLYiZyw6VGUpgrade naar KadastraleKaart Pro
Bekijk op Street View
Download DWG/DXF/Excel
Syq3rYi Upgrade naar KadastraleKaart Pro
FStRlclyUpgrade naar KadastraleKaart Pro
AyWtna Zr4mxgAznUpgrade naar KadastraleKaart Pro
vljtTvvcss8Upgrade naar KadastraleKaart Pro
5YWxqf9Qx X3S5eITMXW0Upgrade naar KadastraleKaart Pro
xVXFeF8S AA8qjc0Ya baUpgrade naar KadastraleKaart Pro
S 16iYli6M2PNFFC3g9J 3FUpgrade naar KadastraleKaart Pro
wLEr9wDvwqy7x8Upgrade naar KadastraleKaart Pro
KrGi Us0NtUpgrade naar KadastraleKaart Pro
zcRkbzCmUpgrade naar KadastraleKaart Pro
19/11/2019

Percelen
Gebruik de zoekbalk of klik op een perceel om informatie over het perceel te bekijken.