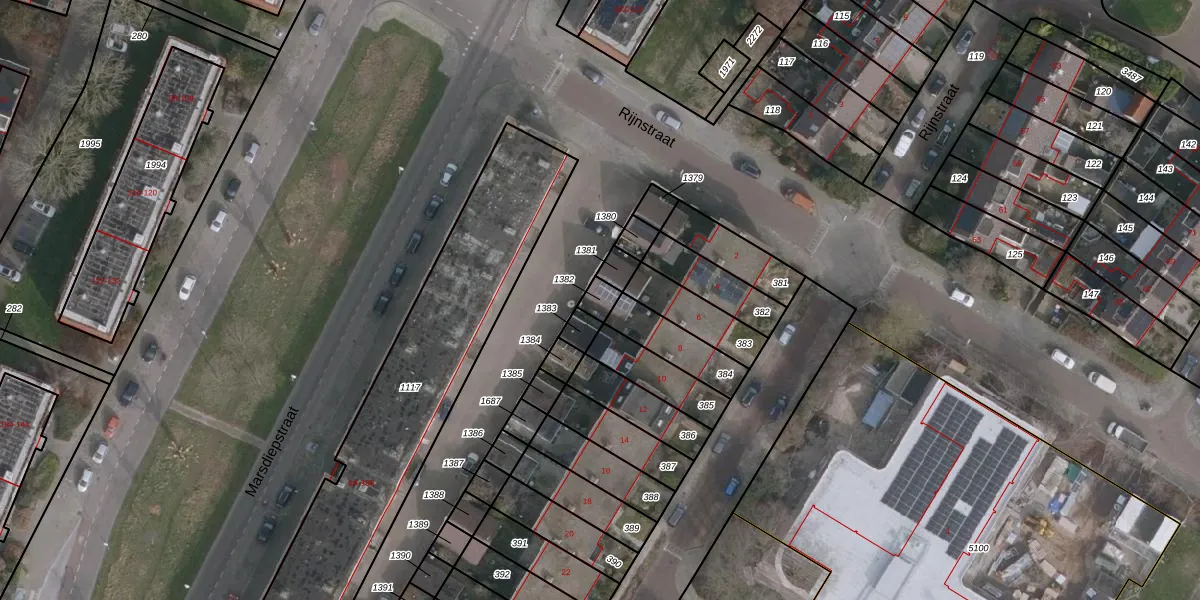
Perceel: HDR00-H-1382
KadastraleKaart.com kan meer dan je denktOntdek meer ›
Filter op bestemming 50+ datasets Eigendomsdata in één klik Percelen CRM
Geen adressen bij dit perceel
30 m2 - 23 m
Eigenaar opvragen
HDR00-H-1382 (Den Helder)
- Geen postcode aanwezig
3ScmjFxHuMo8mPBmLT 3UCUpgrade naar KadastraleKaart Pro
Bekijk op Street View
Download DWG/DXF/Excel
aHE7re7kSHf3nlSBm9ss4Upgrade naar KadastraleKaart Pro
BC XEd jgB RuUUpgrade naar KadastraleKaart Pro
gsr6GVhS YmHj9kdCD Upgrade naar KadastraleKaart Pro
HT o4ZSjKKcbhUpgrade naar KadastraleKaart Pro
3HulD3UX iN Upgrade naar KadastraleKaart Pro
CDVZsfAwUpgrade naar KadastraleKaart Pro
GxOxVVSua6MhYtD3xUpgrade naar KadastraleKaart Pro
ejW56 RK2HBI2f4x y4 Upgrade naar KadastraleKaart Pro
5rHC6PMuyRZ0WkQkUpgrade naar KadastraleKaart Pro
G41 BU1 Bl9XPYUpgrade naar KadastraleKaart Pro
26/10/2010

Percelen
Gebruik de zoekbalk of klik op een perceel om informatie over het perceel te bekijken.