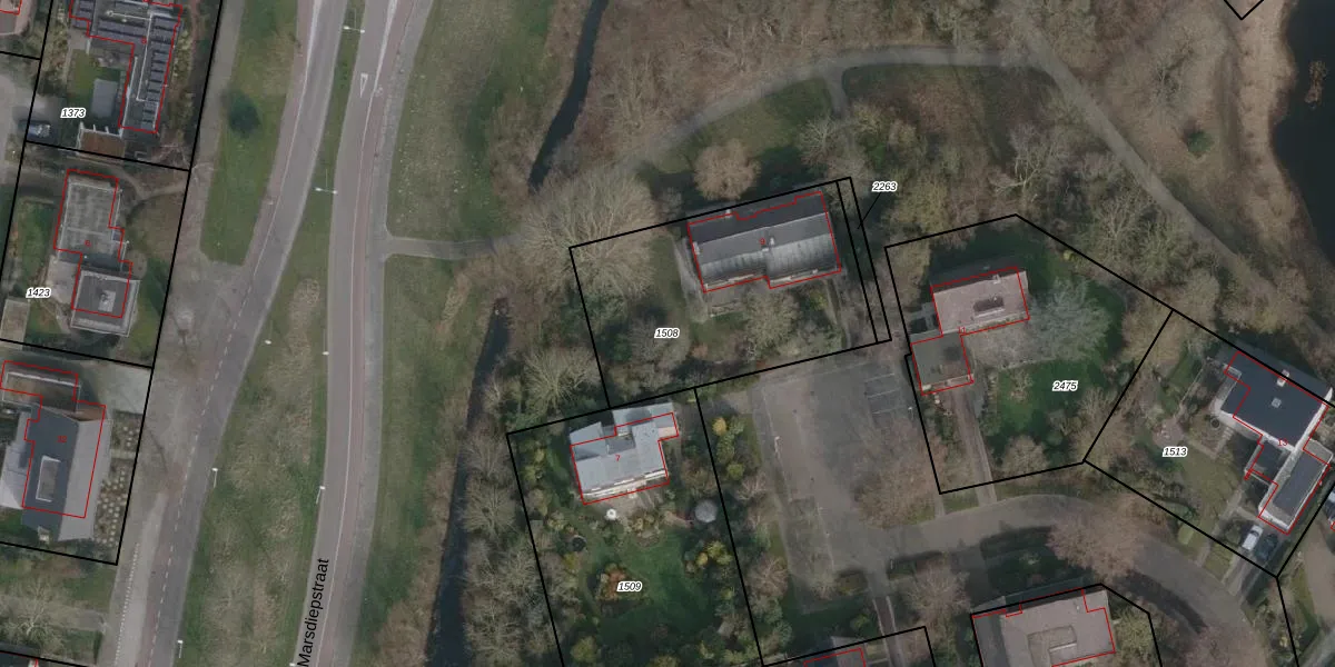
Perceel: HDR00-H-1508
KadastraleKaart.com kan meer dan je denktOntdek meer ›
Filter op bestemming 50+ datasets Eigendomsdata in één klik Percelen CRM
1.025 m2 - 132 m
Eigenaar opvragen
HDR00-H-1508 (Den Helder)
- 1784 BE
Cy5tUgvU21IMfKVCxjZUpgrade naar KadastraleKaart Pro
Bekijk op Street View
Download DWG/DXF/Excel
07y2uuXyg46Y2 Upgrade naar KadastraleKaart Pro
NWgpxjiDB4JpiUpgrade naar KadastraleKaart Pro
jg Vw m HY6rD1prRLWT yVUpgrade naar KadastraleKaart Pro
fcJHcKj95KkIbcUpgrade naar KadastraleKaart Pro
79p efYf99n 1gs4Upgrade naar KadastraleKaart Pro
4Yxe4uEqiQSINeQ xJUpgrade naar KadastraleKaart Pro
DhVaWLpduUpgrade naar KadastraleKaart Pro
iRAn725njBddUpgrade naar KadastraleKaart Pro
s7 R 9ZdnxDZ5uUpgrade naar KadastraleKaart Pro
w0m6q6G Srr JUpgrade naar KadastraleKaart Pro
06/11/2008

Percelen
Gebruik de zoekbalk of klik op een perceel om informatie over het perceel te bekijken.