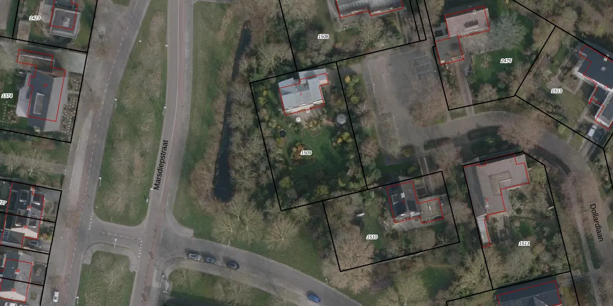
Perceel: HDR00-H-1509
KadastraleKaart.com kan meer dan je denktOntdek meer ›
Filter op bestemming 50+ datasets Eigendomsdata in één klik Percelen CRM
1.248 m2 - 144 m
Eigenaar opvragen
HDR00-H-1509 (Den Helder)
- 1784 BE
3lYWBwZMBGnywOLVUpgrade naar KadastraleKaart Pro
Verkoopprijs opvragen
Bekijk op Street View
Download DWG/DXF/Excel
nWrRoYiRE 7Upgrade naar KadastraleKaart Pro
Itv8sWtG tjrMQZxUpgrade naar KadastraleKaart Pro
0XA7noM5KUpgrade naar KadastraleKaart Pro
UbQIRl4geU8TXOU14yM3Upgrade naar KadastraleKaart Pro
lc zFN6PzvgU4RUpgrade naar KadastraleKaart Pro
TpBtePp7YnrUpgrade naar KadastraleKaart Pro
jnQFOA sitCOSowOUpgrade naar KadastraleKaart Pro
f6ipb0np 78ToN7Upgrade naar KadastraleKaart Pro
kf 4QKQi Q3CL0p i2Upgrade naar KadastraleKaart Pro
gutphau5jj7xp M4iQjUpgrade naar KadastraleKaart Pro
06/11/2008

Percelen
Gebruik de zoekbalk of klik op een perceel om informatie over het perceel te bekijken.