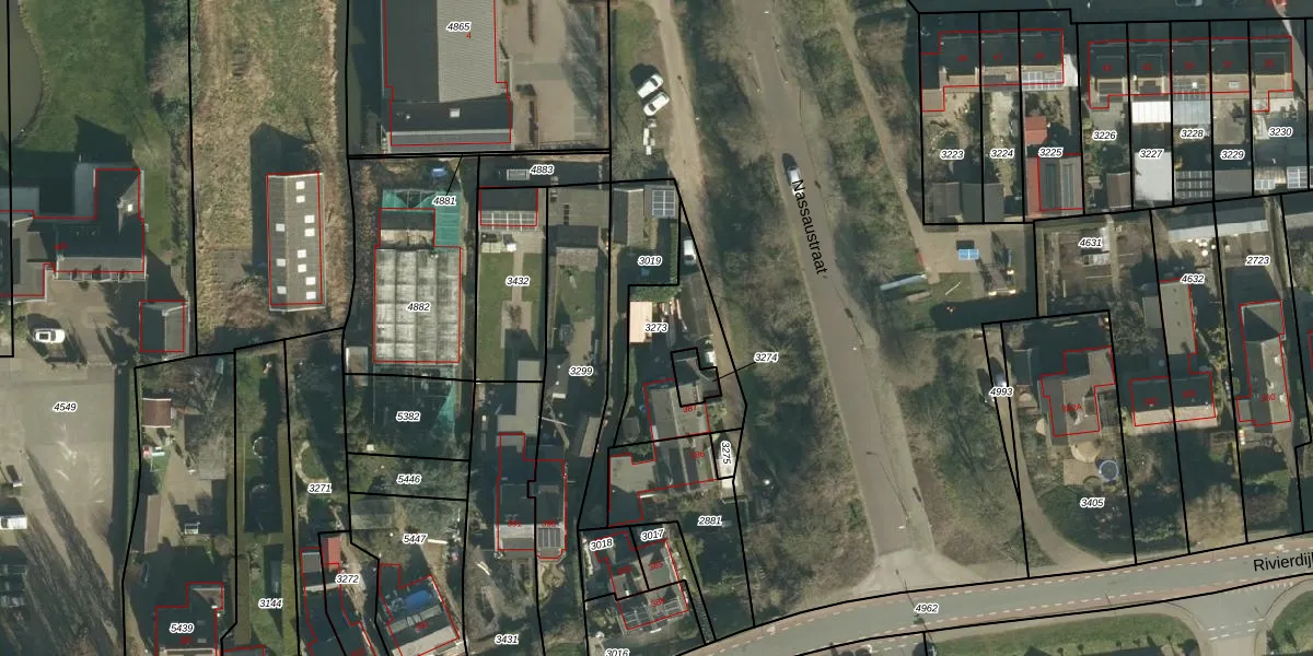
Perceel: HDV00-C-3273
KadastraleKaart.com kan meer dan je denktOntdek meer ›
Filter op bestemming 50+ datasets Eigendomsdata in één klik Percelen CRM
362 m2 - 132 m
Eigenaar opvragen
HDV00-C-3273 (Hardinxveld-Giessendam)
- 3372 BT
E5E 9OhvIDW F4KUpgrade naar KadastraleKaart Pro
Bekijk op Street View
Download DWG/DXF/Excel
iL8zmW8CPhiqfy3BW0e 9zUpgrade naar KadastraleKaart Pro
ZAs16 p0KtGwtiUpgrade naar KadastraleKaart Pro
Ia1ZHOulebNlRan3srbhH5SUpgrade naar KadastraleKaart Pro
reV ciFv BKbUpgrade naar KadastraleKaart Pro
j HEoFxkZhUpgrade naar KadastraleKaart Pro
ncVfB nl DcC4VSgV5qxUpgrade naar KadastraleKaart Pro
xUhWx9wRZUpgrade naar KadastraleKaart Pro
JPg9 akpfkRkilZYJUpgrade naar KadastraleKaart Pro
o8wNcOupKRRYzSQoUpgrade naar KadastraleKaart Pro
XggL6gKSwMOrVyiUnRA3Upgrade naar KadastraleKaart Pro
08/12/2004

Percelen
Gebruik de zoekbalk of klik op een perceel om informatie over het perceel te bekijken.