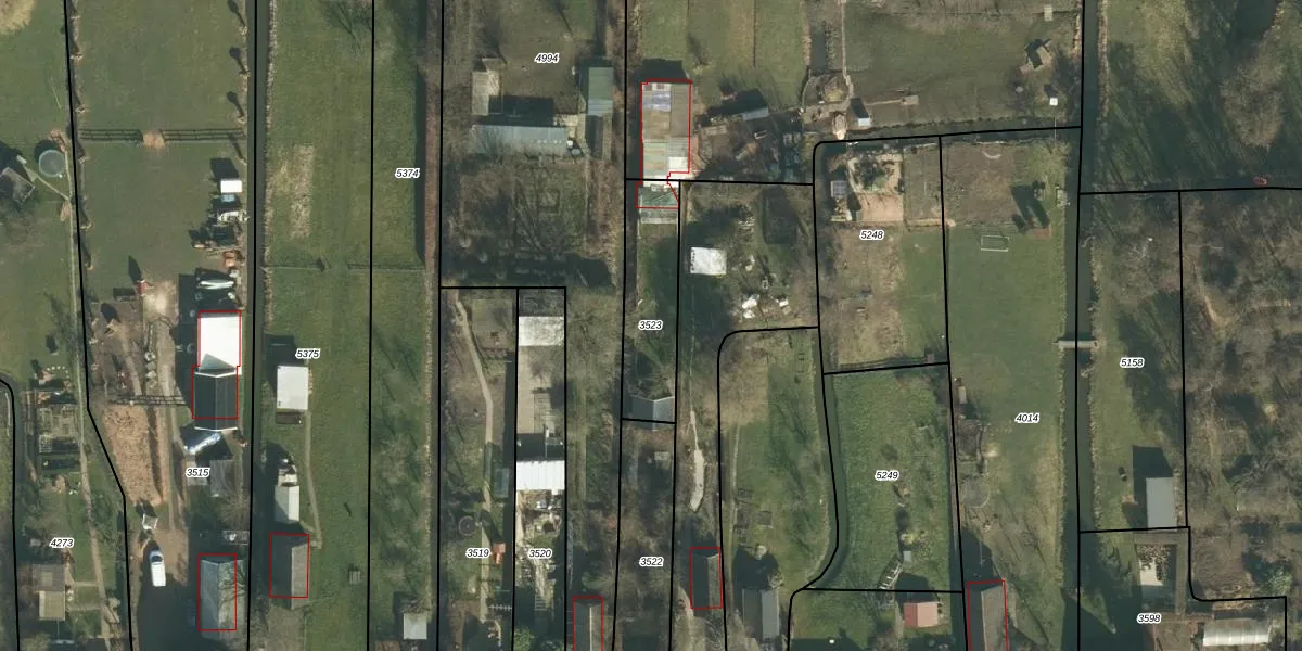
Perceel: HDV00-C-3523
KadastraleKaart.com kan meer dan je denktOntdek meer ›
Filter op bestemming 50+ datasets Eigendomsdata in één klik Percelen CRM
Geen adressen bij dit perceel
325 m2 - 91 m
Eigenaar opvragen
HDV00-C-3523 (Hardinxveld-Giessendam)
- Geen postcode aanwezig
f 1q8NBwOLtOtgYnjrEyZuN8FmqA9jUpgrade naar KadastraleKaart Pro
Bekijk op Street View
Download DWG/DXF/Excel
ccKPJd6AxG6usUpgrade naar KadastraleKaart Pro
P JMuirwXMebcrctSI 8Upgrade naar KadastraleKaart Pro
a WF mZKh2 KuW wo cXCuUpgrade naar KadastraleKaart Pro
stc0drXu QHFxuug33Upgrade naar KadastraleKaart Pro
Z5LyBxcVLaUpgrade naar KadastraleKaart Pro
8JG KUE5QGLuIrtBUpgrade naar KadastraleKaart Pro
casgDICZ i2mbr dUpgrade naar KadastraleKaart Pro
QTLQptVXRe7AcxgeUpgrade naar KadastraleKaart Pro
ZxK6 Wm9Eb34 H uUpgrade naar KadastraleKaart Pro
mR7 W0ip UE SZ5HiLWj6Upgrade naar KadastraleKaart Pro
18/01/2008

Percelen
Gebruik de zoekbalk of klik op een perceel om informatie over het perceel te bekijken.