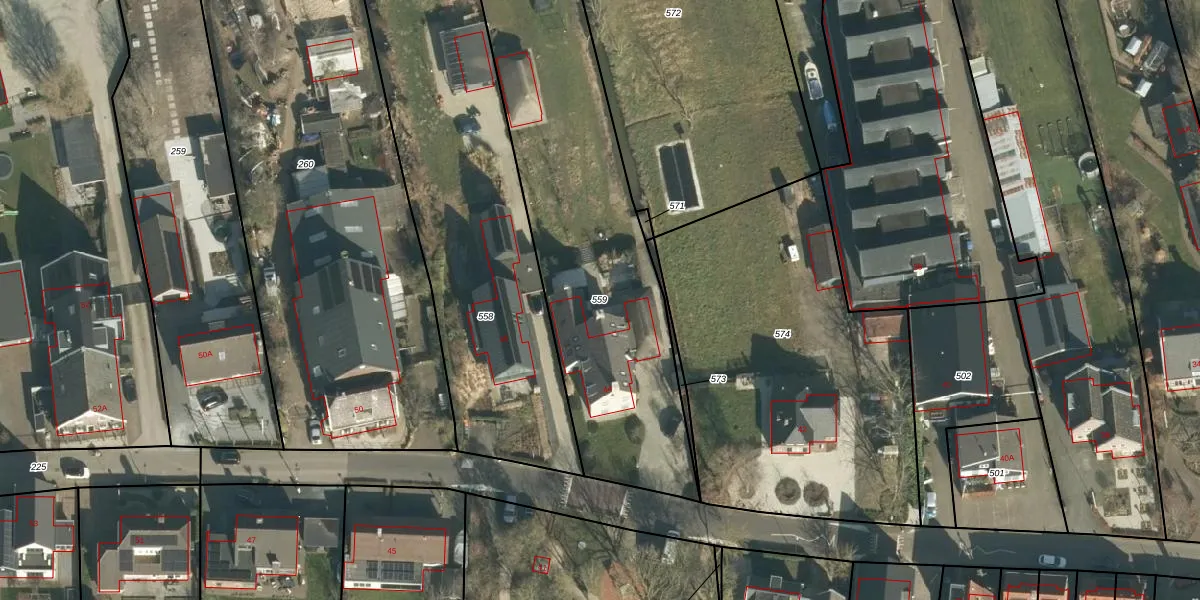
Perceel: HDV00-I-559
KadastraleKaart.com kan meer dan je denktOntdek meer ›
Filter op bestemming 50+ datasets Eigendomsdata in één klik Percelen CRM
2.020 m2 - 264 m
Eigenaar opvragen
HDV00-I-559 (Hardinxveld-Giessendam)
- 3373 AD
E8KXCU5CG I4WE k8isH5uUpgrade naar KadastraleKaart Pro
Bekijk op Street View
Download DWG/DXF/Excel
AVi7JFlJ0lUA zyUpgrade naar KadastraleKaart Pro
yc6VLrVb3wGk1GTYUpgrade naar KadastraleKaart Pro
vggTUk JZ1f xHSO6X3stUpgrade naar KadastraleKaart Pro
41HG9ADWsVpFUMCTKxP BUpgrade naar KadastraleKaart Pro
P8fUsHQkqOsYDzUpgrade naar KadastraleKaart Pro
Yow mqTKBd5 wjPnUpgrade naar KadastraleKaart Pro
Pgeftu TknMKXUpgrade naar KadastraleKaart Pro
YFniZLyawxxdT qOUpgrade naar KadastraleKaart Pro
daosskNDDxn4SA32I2jPPDUpgrade naar KadastraleKaart Pro
AGoeLpH QFw3On SZbQtUpgrade naar KadastraleKaart Pro
19/10/2021

Percelen
Gebruik de zoekbalk of klik op een perceel om informatie over het perceel te bekijken.