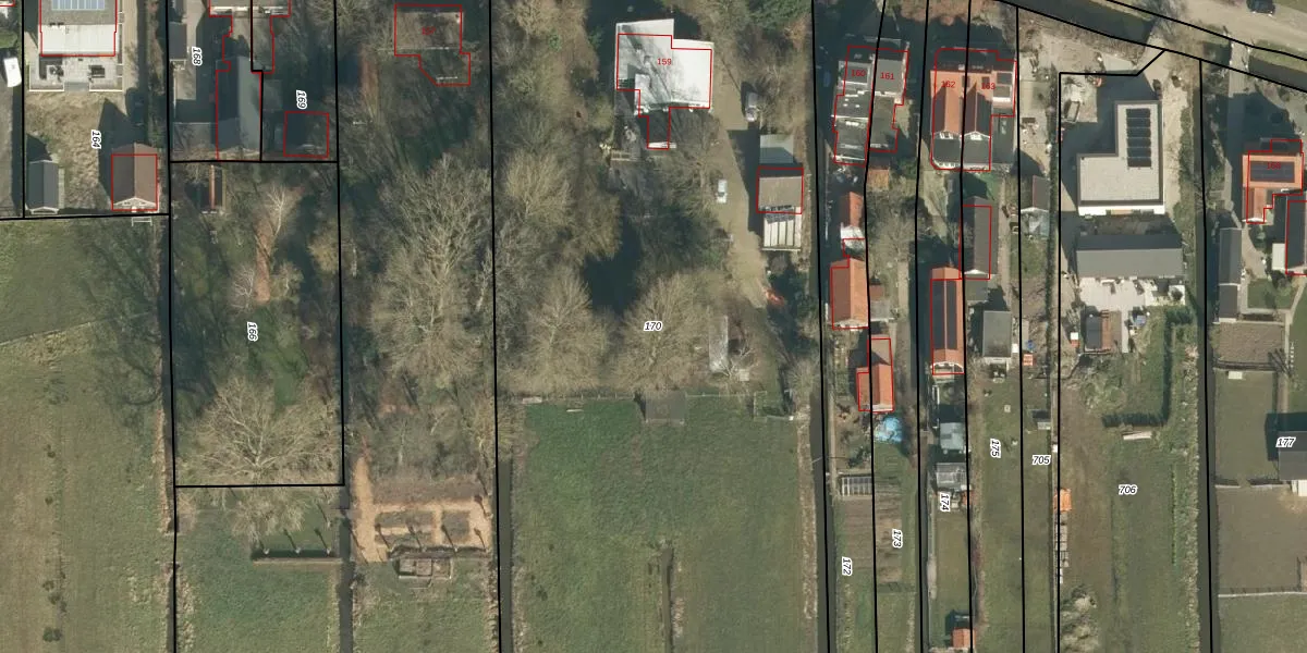
Perceel: HDV00-L-170
KadastraleKaart.com kan meer dan je denktOntdek meer ›
Filter op bestemming 50+ datasets Eigendomsdata in één klik Percelen CRM
6.230 m2 - 348 m
Eigenaar opvragen
HDV00-L-170 (Hardinxveld-Giessendam)
- 3371 GH
Iju mPmwqhzEDNEAqqW8BNk6j 5FJ pUpgrade naar KadastraleKaart Pro
Verkoopprijs opvragen
Bekijk op Street View
Download DWG/DXF/Excel
QR3rnrxpjS50AIko QPUpgrade naar KadastraleKaart Pro
GYZ jWNa aAM8yIZUpgrade naar KadastraleKaart Pro
0lFZc D3YUpgrade naar KadastraleKaart Pro
7f8vpLYnYUpgrade naar KadastraleKaart Pro
pYa jc0PlqAi 8g0zzUpgrade naar KadastraleKaart Pro
cYSZgOmtsoEsbJYATi8Upgrade naar KadastraleKaart Pro
W2nwklDhRABA BlAUpgrade naar KadastraleKaart Pro
P F c T Upgrade naar KadastraleKaart Pro
HE19dJc 3g Upgrade naar KadastraleKaart Pro
PEkHzrstt78vUpgrade naar KadastraleKaart Pro
03/01/2002

Percelen
Gebruik de zoekbalk of klik op een perceel om informatie over het perceel te bekijken.