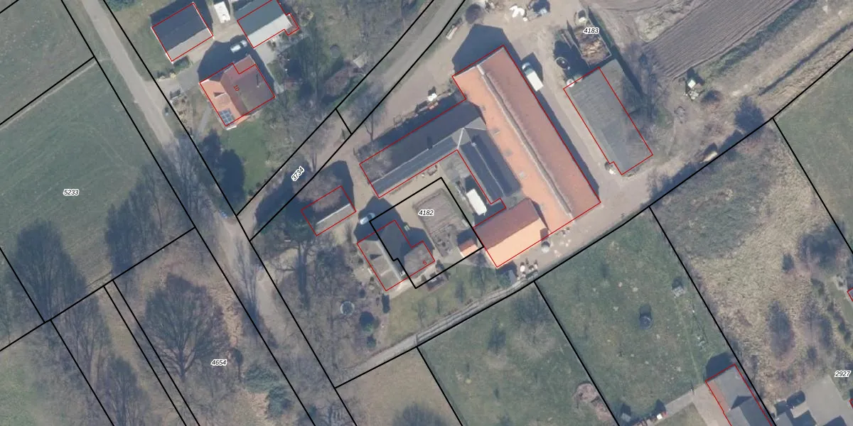
Perceel: HDW00-A-4182
370 m2 - 78 m
Eigenaar opvragen
HDW00-A-4182 (Harderwijk)
- 3849 MC
uSRGX tO5JLWMt05O ubmUpgrade naar KadastraleKaart Pro
Bekijk op Street View
Download DWG/DXF/Excel
elJGQmYyMT0T t6CuFnd1RTUpgrade naar KadastraleKaart Pro
WrEPtjenUpgrade naar KadastraleKaart Pro
G2UD9sIn OnF30Upgrade naar KadastraleKaart Pro
hbHyk1eNyOK9DwrcYUpgrade naar KadastraleKaart Pro
hI6zlw 7KmNd 4KJrnmUpgrade naar KadastraleKaart Pro
egrHDZVdJzwnxFUpgrade naar KadastraleKaart Pro
p8E1iaqzT2BSnJYzxArE02cUpgrade naar KadastraleKaart Pro
7kj 97hH Pn nBUpgrade naar KadastraleKaart Pro
ctsKzdECZG7GqaAWAUpgrade naar KadastraleKaart Pro
DHnuBE29pN6zBrUpgrade naar KadastraleKaart Pro
19/06/2003

Percelen
Gebruik de zoekbalk of klik op een perceel om informatie over het perceel te bekijken.