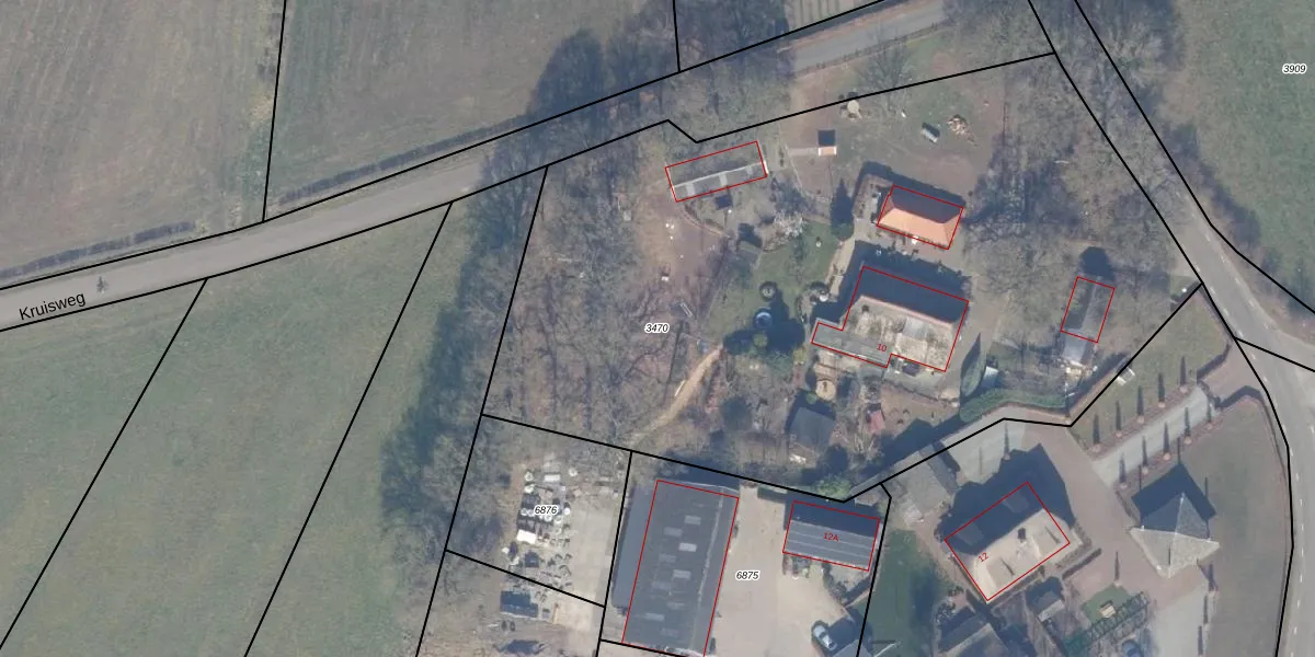
Perceel: HDW00-B-3470
KadastraleKaart.com kan meer dan je denktOntdek meer ›
Filter op bestemming 50+ datasets Eigendomsdata in één klik Percelen CRM
4.880 m2 - 286 m
Eigenaar opvragen
HDW00-B-3470 (Harderwijk)
- 3849 NB
SEdDb x LQ5EDQvl3ZdigYz2N598 41Upgrade naar KadastraleKaart Pro
Bekijk op Street View
Download DWG/DXF/Excel
3cfLkX uaLw6pXLtAxNmUpgrade naar KadastraleKaart Pro
NM gGzXTkUpgrade naar KadastraleKaart Pro
8psVA3yH2Upgrade naar KadastraleKaart Pro
qqtT hJ1Upgrade naar KadastraleKaart Pro
8HEJbcCjWn4wVppqHaGyjUpgrade naar KadastraleKaart Pro
D1A 1Kz78 OLpUpgrade naar KadastraleKaart Pro
dKGgAl6acnus Upgrade naar KadastraleKaart Pro
RjFZEqN tj8F0lCl9Upgrade naar KadastraleKaart Pro
fMq CqUGczi4DMtsyUpgrade naar KadastraleKaart Pro
R2RLGbIYKZNk88nP9Upgrade naar KadastraleKaart Pro
11/06/2021

Percelen
Gebruik de zoekbalk of klik op een perceel om informatie over het perceel te bekijken.