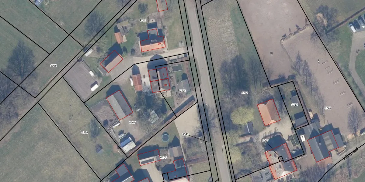
Perceel: HDW00-B-5266
KadastraleKaart.com kan meer dan je denktOntdek meer ›
Filter op bestemming 50+ datasets Eigendomsdata in één klik Percelen CRM
Geen adressen bij dit perceel
400 m2 - 88 m
Eigenaar opvragen
HDW00-B-5266 (Harderwijk)
- Geen postcode aanwezig
ahMQ2 fycfpx5xZWBryFUpgrade naar KadastraleKaart Pro
Bekijk op Street View
Download DWG/DXF/Excel
ZnAPjfUj nhu4gwLfpKUpgrade naar KadastraleKaart Pro
aAK5Lks xsOSqUM2MgMUpgrade naar KadastraleKaart Pro
o3A0W6ufpsp1 ePUpgrade naar KadastraleKaart Pro
VHbLWmJTwP l7EUpgrade naar KadastraleKaart Pro
7 Zdk6CSKJKUpgrade naar KadastraleKaart Pro
t4fgXOdIVseDJgYUpgrade naar KadastraleKaart Pro
KgP2aA1iTgnLUpgrade naar KadastraleKaart Pro
5 dAfWs0ixs 6pQ12fUpgrade naar KadastraleKaart Pro
odBCPRhi7A6Q l2AwxUpgrade naar KadastraleKaart Pro
OyBrpO v1MUpgrade naar KadastraleKaart Pro
28/11/2003

Percelen
Gebruik de zoekbalk of klik op een perceel om informatie over het perceel te bekijken.