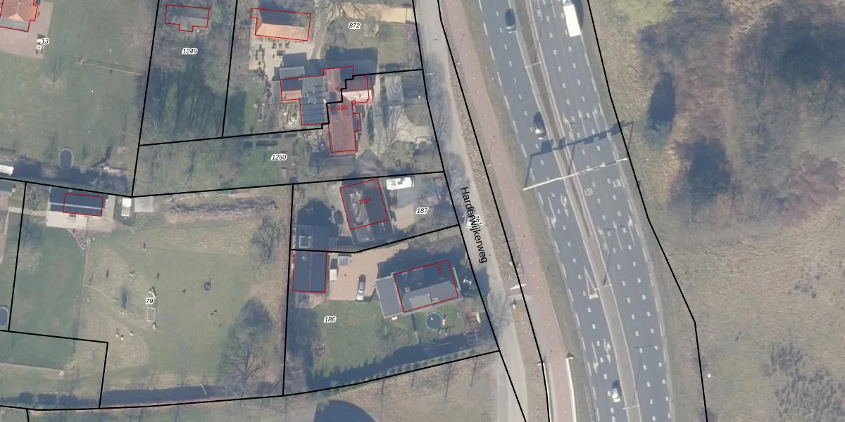
Perceel: HDW00-K-187
600 m2 - 105 m
Eigenaar opvragen
HDW00-K-187 (Harderwijk)
- 3845 LD
3 QOH0q 8m P8nsCu3VOQcN UTzwDUpgrade naar KadastraleKaart Pro
Verkoopprijs opvragen
Bekijk op Street View
Download DWG/DXF/Excel
OQ7kfcCi VsyEZ3 dS4dADkUpgrade naar KadastraleKaart Pro
MV qT u s0GItO LZLL Upgrade naar KadastraleKaart Pro
sqCy 4UVsw sA9l7e i21sxUpgrade naar KadastraleKaart Pro
vkgfNOK8PHZtFUpgrade naar KadastraleKaart Pro
y2xJDpF4gHUpgrade naar KadastraleKaart Pro
Hj9RGkuhrwug7Upgrade naar KadastraleKaart Pro
mavHFpVWlpGHF5Xe2yUpgrade naar KadastraleKaart Pro
sN4TQ EbIUpgrade naar KadastraleKaart Pro
dF40mRB Y L7dEvIOd9Upgrade naar KadastraleKaart Pro
xBzTURWMBTjUpgrade naar KadastraleKaart Pro
14/08/2012

Percelen
Gebruik de zoekbalk of klik op een perceel om informatie over het perceel te bekijken.