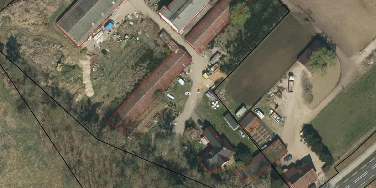
Perceel: HEE01-A-738
KadastraleKaart.com kan meer dan je denktOntdek meer ›
Filter op bestemming 50+ datasets Eigendomsdata in één klik Percelen CRM
14.850 m2 - 565 m
Eigenaar opvragen
HEE01-A-738 (Heel en Panheel)
- 6097 NK
Ook Y88tlH90OiBhdUpgrade naar KadastraleKaart Pro
Verkoopprijs opvragen
Bekijk op Street View
Download DWG/DXF/Excel
x10Pljd7 Upgrade naar KadastraleKaart Pro
hZoEhJHgIRXBjdFUpgrade naar KadastraleKaart Pro
WrjIl3p8hoEDHcUpgrade naar KadastraleKaart Pro
04J0z6lnR Ga2emJ 4DoWXUpgrade naar KadastraleKaart Pro
ESLO427JmP50VndUpgrade naar KadastraleKaart Pro
aYqQOGNhSUpgrade naar KadastraleKaart Pro
e4POqmth2uy0Ay pTSUpgrade naar KadastraleKaart Pro
zEmW8VMjM4 qdvUpgrade naar KadastraleKaart Pro
c2sUPK puRXnK0uLeUpgrade naar KadastraleKaart Pro
ARs0J3pw2nleN8wkBInqBUpgrade naar KadastraleKaart Pro
07/03/2023

Percelen
Gebruik de zoekbalk of klik op een perceel om informatie over het perceel te bekijken.