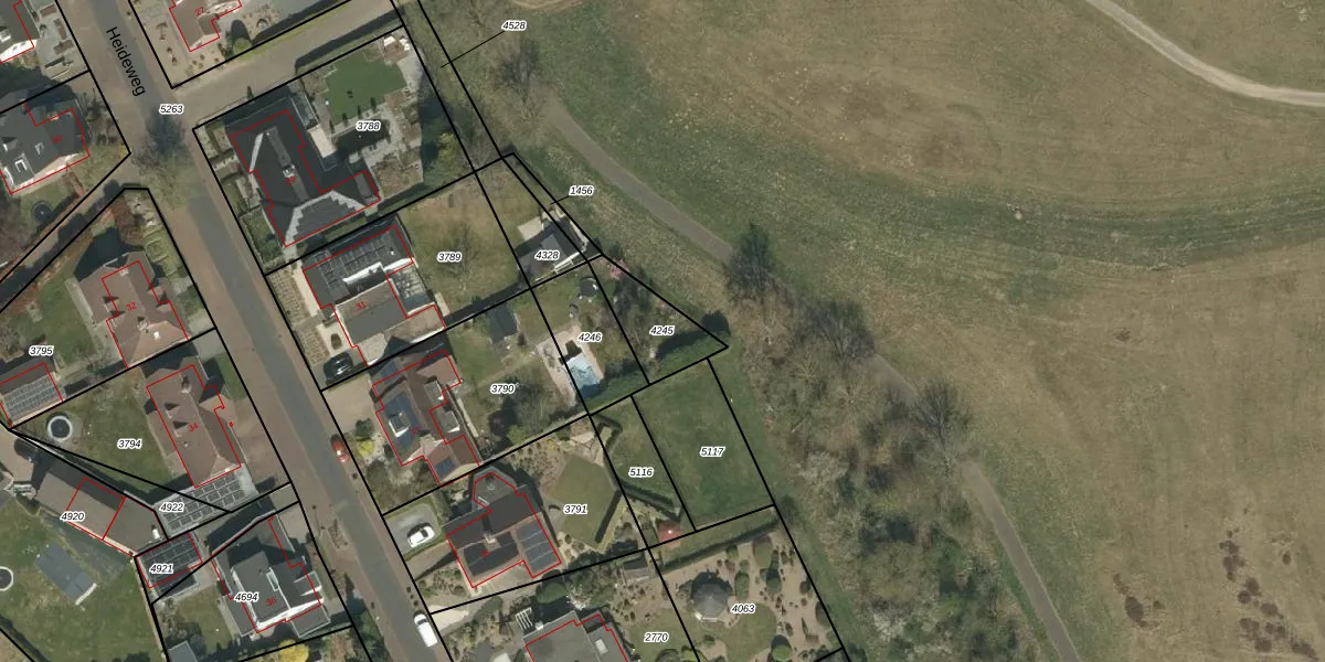
Perceel: HEE01-C-4245
KadastraleKaart.com kan meer dan je denktOntdek meer ›
Filter op bestemming 50+ datasets Eigendomsdata in één klik Percelen CRM
Geen adressen bij dit perceel
168 m2 - 60 m
Eigenaar opvragen
HEE01-C-4245 (Heel en Panheel)
- Geen postcode aanwezig
c 7 vEBiMqy UIedW4Qxd0 aUpgrade naar KadastraleKaart Pro
Bekijk op Street View
Download DWG/DXF/Excel
9JT1MzXBcI2osCyIOzJf Upgrade naar KadastraleKaart Pro
F3JBg6DoQKb uUpgrade naar KadastraleKaart Pro
fhjhH1qBvx3pUpgrade naar KadastraleKaart Pro
1NG pgcQ1uRy0LcUpgrade naar KadastraleKaart Pro
pQIU KwQt9Vhm3Upgrade naar KadastraleKaart Pro
zDjp2i 4 GLUpgrade naar KadastraleKaart Pro
acsWEYDPty uW8V5tQrrUpgrade naar KadastraleKaart Pro
35 KmRr9rBOXE k2ifdoUpgrade naar KadastraleKaart Pro
1gRqCk6eTX4MdeDztL 7nUpgrade naar KadastraleKaart Pro
2vIPGnPxUpgrade naar KadastraleKaart Pro
02/05/2008

Percelen
Gebruik de zoekbalk of klik op een perceel om informatie over het perceel te bekijken.