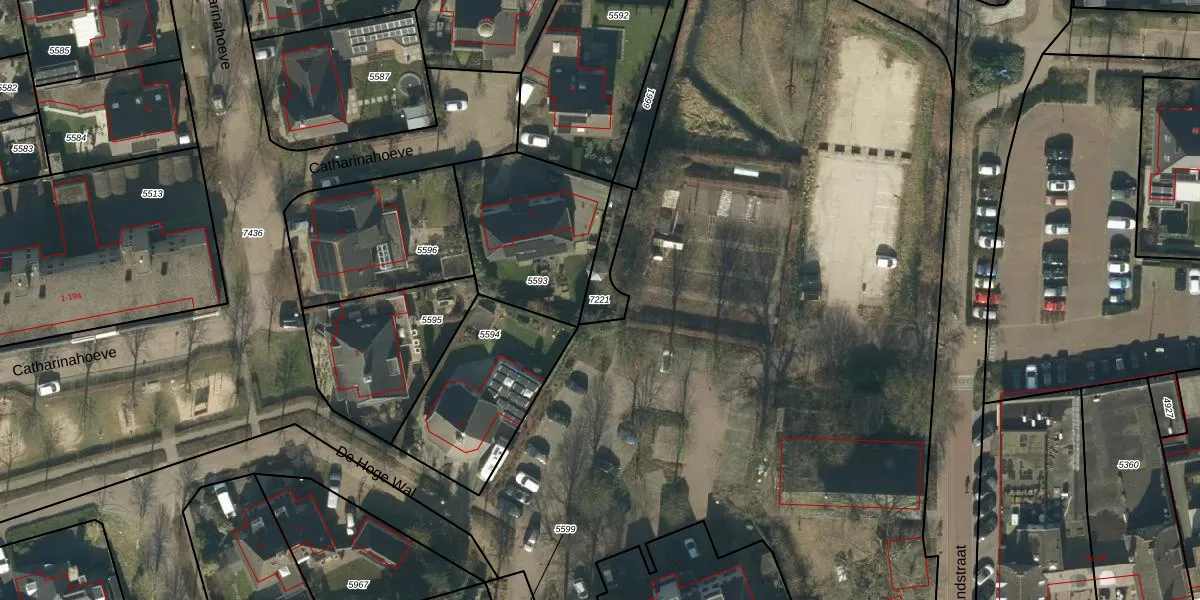
Perceel: HEE02-A-7221
KadastraleKaart.com kan meer dan je denktOntdek meer ›
Filter op bestemming 50+ datasets Eigendomsdata in één klik Percelen CRM
Geen adressen bij dit perceel
98 m2 - 59 m
Eigenaar opvragen
HEE02-A-7221 (Heesch)
- Geen postcode aanwezig
yvJM5Ti Cno eJuJxWtUpgrade naar KadastraleKaart Pro
Bekijk op Street View
Download DWG/DXF/Excel
v8k UMOKGbUpgrade naar KadastraleKaart Pro
sibi 9oJqpXD T8YeMUpgrade naar KadastraleKaart Pro
3NKAaIUIkV9Upgrade naar KadastraleKaart Pro
8QiZhjS MYJA4 5DoUpgrade naar KadastraleKaart Pro
R7pEbosK PvgLF 5g FhIUpgrade naar KadastraleKaart Pro
1o HEl6X91Upgrade naar KadastraleKaart Pro
YSAv4SQCUpgrade naar KadastraleKaart Pro
0KXIgUQZAIYOtF6Mvpy0dUpgrade naar KadastraleKaart Pro
SBxGyqtxC5x 4vaXM CUpgrade naar KadastraleKaart Pro
63eolMD90m uVvUpgrade naar KadastraleKaart Pro
30/10/2017

Percelen
Gebruik de zoekbalk of klik op een perceel om informatie over het perceel te bekijken.