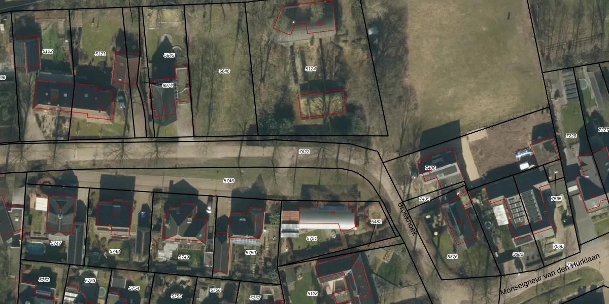
Perceel: HEE02-A-7622
KadastraleKaart.com kan meer dan je denktOntdek meer ›
Filter op bestemming 50+ datasets Eigendomsdata in één klik Percelen CRM
Geen adressen bij dit perceel
5.624 m2 - 1.242 m
Eigenaar opvragen
HEE02-A-7622 (Heesch)
- Geen postcode aanwezig
IJlnv NvJXj51CsFcJiWBdMQUpgrade naar KadastraleKaart Pro
Bekijk op Street View
Download DWG/DXF/Excel
TgAzltKCAU2 U6gMUpgrade naar KadastraleKaart Pro
GfE0ruONYfUpgrade naar KadastraleKaart Pro
cKpewkdfpuZD 3YZaq3cUpgrade naar KadastraleKaart Pro
1wxgwXHbrBUpgrade naar KadastraleKaart Pro
NAXDayw5NyQbksCdSDoUpgrade naar KadastraleKaart Pro
zpczhl kUpgrade naar KadastraleKaart Pro
0YTD6msM01LbUpgrade naar KadastraleKaart Pro
YQuzMg1 x XMD2jtUpgrade naar KadastraleKaart Pro
yhLkhBGd H1ClzII6YHYKkUpgrade naar KadastraleKaart Pro
hqH ygxdgfFM LwGUpgrade naar KadastraleKaart Pro
26/06/2025

Percelen
Gebruik de zoekbalk of klik op een perceel om informatie over het perceel te bekijken.