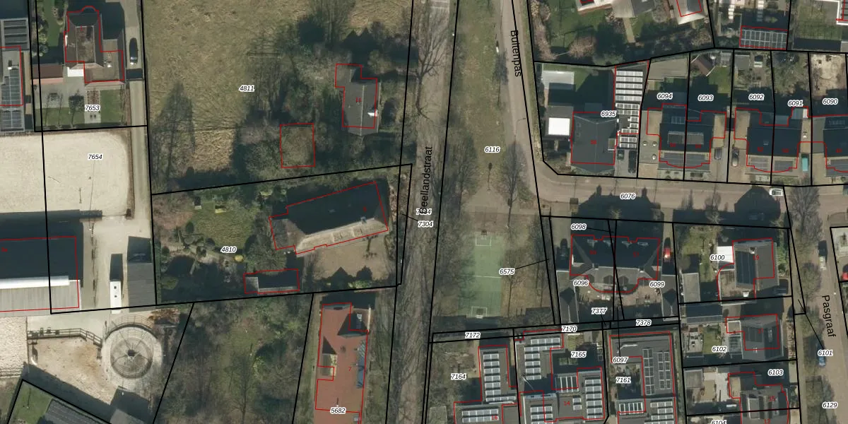
Perceel: HEE02-A-7684
KadastraleKaart.com kan meer dan je denktOntdek meer ›
Filter op bestemming 50+ datasets Eigendomsdata in één klik Percelen CRM
Geen adressen bij dit perceel
4.648 m2 - 1.153 m
Eigenaar opvragen
HEE02-A-7684 (Heesch)
- Geen postcode aanwezig
YBs1ODtsiodCen1ag6dLXZXRENfLbdUpgrade naar KadastraleKaart Pro
Bekijk op Street View
Download DWG/DXF/Excel
oC RSB1AQsj9Q QLOUpgrade naar KadastraleKaart Pro
2u u1UQqHe9MBTEx hUpgrade naar KadastraleKaart Pro
oqlBtLGvjUpgrade naar KadastraleKaart Pro
c7ZcOPzFy xN282qsCCUpgrade naar KadastraleKaart Pro
23A87ED1Upgrade naar KadastraleKaart Pro
mlskVv3FN8BhW i6Upgrade naar KadastraleKaart Pro
10LfGhSDUpgrade naar KadastraleKaart Pro
7DXL34otlWmd7pCUpgrade naar KadastraleKaart Pro
F d3VJnNFSzAXLCXaJEIUpgrade naar KadastraleKaart Pro
9y6 me9yoA5N68m UnJUpgrade naar KadastraleKaart Pro
05/08/2025

Percelen
Gebruik de zoekbalk of klik op een perceel om informatie over het perceel te bekijken.