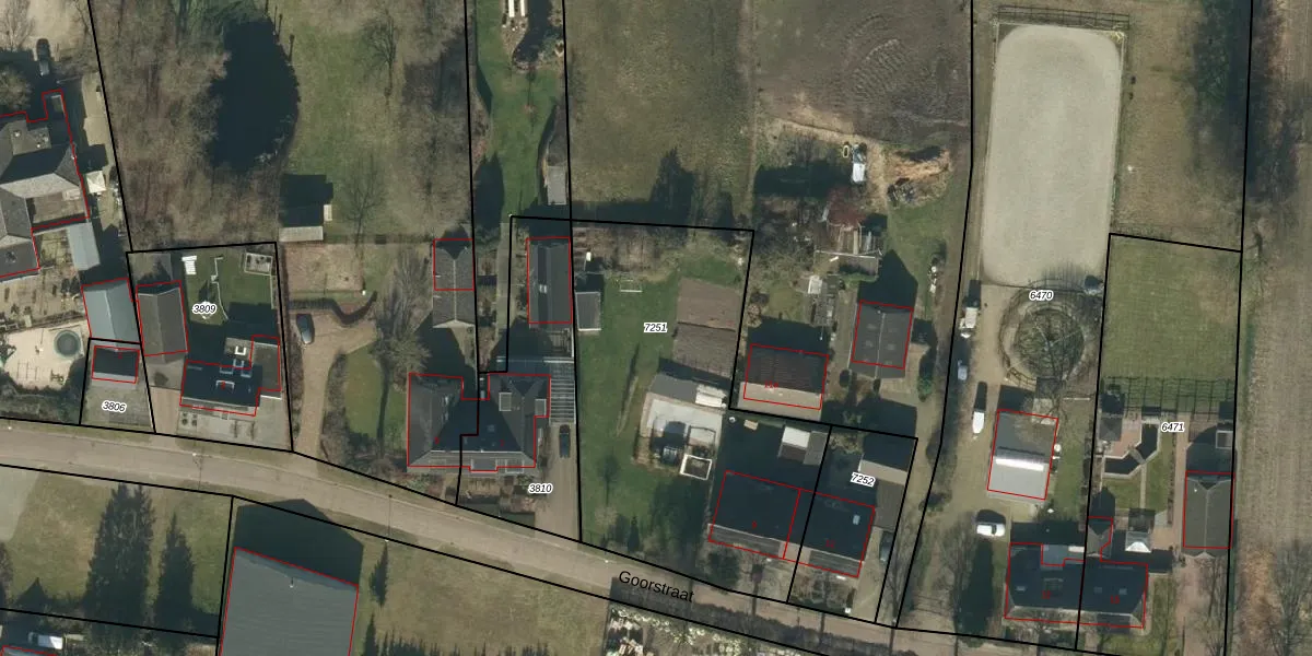
Perceel: HEE02-B-7251
KadastraleKaart.com kan meer dan je denktOntdek meer ›
Filter op bestemming 50+ datasets Eigendomsdata in één klik Percelen CRM
1.585 m2 - 181 m
Eigenaar opvragen
HEE02-B-7251 (Heesch)
- 5384 PP
SEW biLcQQL3 cS imiuT1QUpgrade naar KadastraleKaart Pro
Verkoopprijs opvragen
Bekijk op Street View
Download DWG/DXF/Excel
Xnmo2UF uMc37pUpgrade naar KadastraleKaart Pro
YLsEi9MiSpEaNiWUpgrade naar KadastraleKaart Pro
Xqmc0CE9eGa7M LLlUpgrade naar KadastraleKaart Pro
F PQujlwCwUpgrade naar KadastraleKaart Pro
4m0rZ5xMsJec0xh8qKORaUpgrade naar KadastraleKaart Pro
kt NZM53KKqUpgrade naar KadastraleKaart Pro
dClWrlaVG3kV s93GUpgrade naar KadastraleKaart Pro
fSpSPqXIdUpgrade naar KadastraleKaart Pro
U3RCZi2FWvPVrPTuUpgrade naar KadastraleKaart Pro
pPyVqDGqJgNGE2dUUUpgrade naar KadastraleKaart Pro
17/02/2011

Percelen
Gebruik de zoekbalk of klik op een perceel om informatie over het perceel te bekijken.