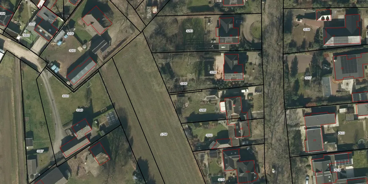
Perceel: HEE02-D-3300
KadastraleKaart.com kan meer dan je denktOntdek meer ›
Filter op bestemming 50+ datasets Eigendomsdata in één klik Percelen CRM
Geen adressen bij dit perceel
18 m2 - 38 m
Eigenaar opvragen
HEE02-D-3300 (Heesch)
- Geen postcode aanwezig
u2KbWoNPic58WbQc9jlMnUpgrade naar KadastraleKaart Pro
Bekijk op Street View
Download DWG/DXF/Excel
20 Bj4QllgPAUpgrade naar KadastraleKaart Pro
sGG12fLJMBzeT XH4os9PL2Upgrade naar KadastraleKaart Pro
dbM MKN36bq0 M OjzUpgrade naar KadastraleKaart Pro
ALLrM6xdjUpgrade naar KadastraleKaart Pro
X zb 1JGhSd x0mUpgrade naar KadastraleKaart Pro
JOeGCOYmUpgrade naar KadastraleKaart Pro
BnldHyGF4t0S8Upgrade naar KadastraleKaart Pro
GhEdnG4fsZMD4yakMgb8GUpgrade naar KadastraleKaart Pro
y d9I 5e nJp5j3F87 KUpgrade naar KadastraleKaart Pro
8Pt6441TruAfFcAMUpgrade naar KadastraleKaart Pro
08/11/2006

Percelen
Gebruik de zoekbalk of klik op een perceel om informatie over het perceel te bekijken.