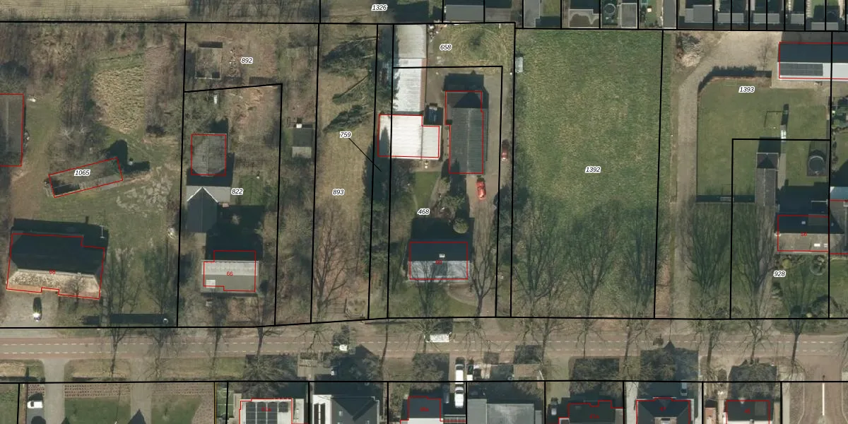
Perceel: HEE02-F-468
KadastraleKaart.com kan meer dan je denktOntdek meer ›
Filter op bestemming 50+ datasets Eigendomsdata in één klik Percelen CRM
1.490 m2 - 170 m
Eigenaar opvragen
HEE02-F-468 (Heesch)
- 5384 VE
p4T q6WzfJBrj4g 98EKUpgrade naar KadastraleKaart Pro
Bekijk op Street View
Download DWG/DXF/Excel
VO9qMHL2s7Upgrade naar KadastraleKaart Pro
v 9DgCZKjrmiTUpgrade naar KadastraleKaart Pro
soDRep1cr zbUpgrade naar KadastraleKaart Pro
FxPkOSONUpgrade naar KadastraleKaart Pro
ebDQOEcJBG jMxWzUUpgrade naar KadastraleKaart Pro
rX3Ex3UnwZaC2 7CxUpgrade naar KadastraleKaart Pro
ATbisjKIK VrXlWxiw7GUpgrade naar KadastraleKaart Pro
nsWnL N9w Upgrade naar KadastraleKaart Pro
kGUUZNt2IUpgrade naar KadastraleKaart Pro
7 V2ikFzpiO3rPFUpgrade naar KadastraleKaart Pro
27/07/2009

Percelen
Gebruik de zoekbalk of klik op een perceel om informatie over het perceel te bekijken.