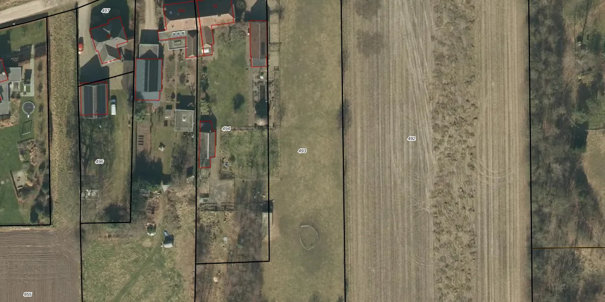
Perceel: HEE02-F-493
KadastraleKaart.com kan meer dan je denktOntdek meer ›
Filter op bestemming 50+ datasets Eigendomsdata in één klik Percelen CRM
Geen adressen bij dit perceel
3.749 m2 - 358 m
Eigenaar opvragen
HEE02-F-493 (Heesch)
- Geen postcode aanwezig
4G6hZn7prV8 XvNWIr19uqnL9zDN2Upgrade naar KadastraleKaart Pro
Bekijk op Street View
Download DWG/DXF/Excel
o4LlT4JPsrUpgrade naar KadastraleKaart Pro
a1vOj7JRLmi4eXx6wN2ZLRUpgrade naar KadastraleKaart Pro
jIwgY XLtYUpgrade naar KadastraleKaart Pro
djHBCoF HQtZWUpgrade naar KadastraleKaart Pro
zhyW 58zn1iqc2Fu96xfm pUpgrade naar KadastraleKaart Pro
a8c6 zcQe9mxjgC47tk6sUpgrade naar KadastraleKaart Pro
JN69lU4cM8EF5IpRUpgrade naar KadastraleKaart Pro
9wzttYYntuK3MUpgrade naar KadastraleKaart Pro
8ynB MXIKdlcoyrg6su 8Upgrade naar KadastraleKaart Pro
rHEbY0uSrrUpgrade naar KadastraleKaart Pro
08/11/2006

Percelen
Gebruik de zoekbalk of klik op een perceel om informatie over het perceel te bekijken.